- ประวัติความเป็นมาของพันธุ์
- พื้นที่สำหรับการเพาะปลูก
- ข้อดีข้อเสียขององุ่นคราเซน
- ลักษณะและคุณลักษณะ
- รูปร่าง
- การติดผล
- การออกดอกและการผสมเกสร
- เวลาสุก
- ผลผลิตและรสชาติ
- เบอร์รี่ใช้ที่ไหน?
- ทนทานต่อน้ำค้างแข็งสูง
- พันธุ์นี้เสี่ยงต่อแมลงและโรคไหมคะ?
- เทคโนโลยีการปลูกพืช
- การคัดเลือกต้นกล้า
- การเตรียมพื้นที่และหลุมปลูก
- ระยะเวลาและกฎเกณฑ์ในการดำเนินการปลูก
- การดูแลรักษาองุ่นคราเซน
- การรดน้ำและการใส่ปุ๋ย
- การก่อตัวของเถาวัลย์ที่ออกผล
- การคลายและคลุมดิน
- การรักษาเชิงป้องกัน
- การเตรียมเถาวัลย์สำหรับฤดูหนาว
- การสืบพันธุ์ของพันธุ์
- บทวิจารณ์
- บทสรุป
องุ่นพันธุ์คราเซนมีรสชาติเข้มข้น ชาวสวนระบุว่าองุ่นพันธุ์นี้แทบไม่มีโรคและแทบไม่มีศัตรูพืชรบกวน นอกจากนี้ยังเจริญเติบโตได้ดีทั้งในสภาพอากาศหนาวเย็นและร้อน หากปลูกอย่างถูกต้องก็จะให้ผลผลิตในปีถัดไป องุ่นพันธุ์นี้ใช้ทำน้ำองุ่นเข้มข้น ลูกเกดแห้ง และรับประทานผลสด องุ่นพันธุ์คราเซนส่วนใหญ่นำไปใช้ทำไวน์
ประวัติความเป็นมาของพันธุ์
Krasen เกิดจากการผสมข้ามพันธุ์สองสายพันธุ์ ได้แก่ Super Early Seedless Magarach และ Magarach Antey พันธุ์เหล่านี้มีความทนทานต่อน้ำค้างแข็งและแมลงศัตรูพืชได้ดีที่สุด
ตามบันทึกอย่างเป็นทางการ องุ่นพันธุ์นี้ได้รับการพัฒนาโดยนักวิทยาศาสตร์จากยัลตา ณ สถาบันวิทยาศาสตร์องุ่นมาการาช (Magarach Scientific Institute of Grapevine) สถาบันการศึกษาแห่งนี้ก่อตั้งโดยเจ้าชายเอ็ม.เอส. โวรอนต์ซอฟ ณ สวนพฤกษศาสตร์นิกิตินสกี สถาบันได้มอบสิทธิบัตรเลขที่ 06285 ให้แก่องุ่นพันธุ์คราเซน
พื้นที่สำหรับการเพาะปลูก
พันธุ์นี้ถือว่าเป็นพันธุ์สากลและเหมาะสำหรับการเพาะปลูกในพื้นที่ที่มีทั้งฤดูหนาวที่อบอุ่นและหนาวจัด 6 ภูมิภาคที่เหมาะสมที่สุดสำหรับการปลูก Krasenya ได้แก่:
- ดินแดนครัสโนดาร์
- ไครเมีย
- ภูมิภาคเชอร์คาซี
- ภูมิภาคเคียฟ
- ภูมิภาครอสตอฟ
- โวโรเนซ

ข้อดีข้อเสียขององุ่นคราเซน
ผู้เริ่มต้นจะพบว่า Krasen ดูแลง่าย แม้จะเป็นครั้งแรกที่ปลูกองุ่นก็ตาม คุณสมบัติที่ดีขององุ่น:
- ความต้านทานต่อสภาพอากาศแห้งแล้ง
- ไม่ต้องการองค์ประกอบของดินมากนัก (แม้แต่ดินเหนียวหรือดินที่มีทรายผสมอยู่ก็ใช้ได้)
- ความสะดวกในการดูแล;
- การเก็บเกี่ยวที่มั่นคงทุกปี
- ความหลากหลายของผลไม้ที่นำมาใช้;
- การไม่มีกระดูก;
- สะดวกในการปลูกในปริมาณอุตสาหกรรม
- ความคลาดเคลื่อนในการขนส่งที่ดี
- การจัดเก็บข้อมูลระยะยาว
ข้อเสียขององุ่นเกิดจากการดูแลที่ไม่เหมาะสม:
- การก่อตัวหนาแน่นที่ต้องการความต้องการ
- ความเสี่ยงต่อโรคราแป้ง (oidium)
วิธีที่มีประสิทธิภาพในการต่อสู้กับโรคราแป้งคือการใช้สารเตรียมดังต่อไปนี้: Thiovit Jet และ Cumulus DF

ลักษณะและคุณลักษณะ
องุ่นคราเซนใช้ได้ทั้งสำหรับทำอาหารและไวน์ องุ่นจะสุกภายในเวลาประมาณ 140 วัน ในพื้นที่ภาคใต้ การเก็บเกี่ยวจะเริ่มในช่วงปลายเดือนสิงหาคม
รูปร่าง
พุ่มองุ่นพันธุ์นี้แข็งแรง มีตาดอกเด่นชัดและบานสะพรั่ง พวงองุ่นมีขนาดใหญ่ ปลายแหลม ทรงกรวย และมีขนาดกลาง โครงสร้างหลวม แต่ละพวงมีน้ำหนักระหว่าง 500 ถึง 700 กรัม องุ่นมีสีดำ
การติดผล
องุ่นทุกต้นออกผล ทางใต้สามารถเก็บเกี่ยวผลผลิตได้ในช่วงปลายเดือนสิงหาคม และทางเหนือสามารถเก็บเกี่ยวได้ในเดือนกันยายน เพื่อให้องุ่นมีคุณภาพเหมาะสมสำหรับการผลิตไวน์ จึงต้องเลื่อนการเก็บเกี่ยวออกไป 14-20 วัน ซึ่งจำเป็นเพื่อให้ผลองุ่นสุกเกินไป

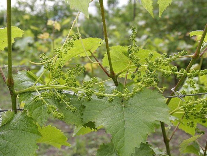
การออกดอกและการผสมเกสร
ดอกขององุ่นคราเซนได้รับการผสมเกสรข้ามสายพันธุ์ (โดยใช้ละอองเรณูจากพืชอื่น) ในบางกรณี พวกมันอาจผสมเกสรด้วยตัวเอง (โดยใช้ละอองเรณูของตัวเอง) ละอองเรณูส่วนใหญ่มักถูกพัดพาโดยแมลงและลม
ผลผลิตของ Krasen เพิ่มขึ้นจากการผสมเกสรที่ดี 20% เป็น 40%
ระยะเวลาออกดอกประมาณ 8-14 วัน ขึ้นอยู่กับภูมิภาค โดยทั่วไปแล้ว พันธุ์คราเซนจะบานในช่วงเดือนพฤษภาคมถึงปลายเดือนมิถุนายน ดอกตูมจะบานภายใน 6-11 ชั่วโมง สภาพอากาศและอุณหภูมิในฤดูร้อนอยู่ระหว่าง 15-30 องศาเซลเซียส (59-86 องศาฟาเรนไฮต์) ส่งเสริมการสร้างรังไข่จำนวนมาก

เวลาสุก
องุ่นพันธุ์กลางฤดูนี้สุกภายใน 130-140 วัน ยิ่งพุ่มเติบโตไปทางเหนือมากเท่าไหร่ ระยะเวลาการสุกก็จะยิ่งนานขึ้นเท่านั้น ในพื้นที่ที่อากาศหนาวเย็น เก็บเกี่ยวได้เร็วสุดกลางเดือนกันยายน และสำหรับการผลิตไวน์ เก็บเกี่ยวได้ช้าสุดถึงเดือนกันยายน
ผลผลิตและรสชาติ
พันธุ์นี้ให้ผลผลิตสูง กิ่งเดียวสามารถผลิตองุ่นได้สองต้น น้ำหนักระหว่าง 500 ถึง 800 กรัม สามารถเก็บเกี่ยวองุ่นได้ประมาณ 180 เซ็นต์เนอร์จากพื้นที่หนึ่งเฮกตาร์ ผลองุ่นมีรสชาติมัสกัตที่กลมกล่อม องุ่นที่ยังไม่สุกจะมีรสค้างอยู่ในปากคล้ายมะเขือม่วง แต่จะหายไปเมื่อสุกเต็มที่ เนื้อองุ่นมีน้ำองุ่นสีเข้มจำนวนมาก ผลผลิตมัสต์สูงถึง 80%

เบอร์รี่ใช้ที่ไหน?
เบอร์รี่พันธุ์คราเซนยามีปริมาณน้ำตาลสูงถึง 29% นอกจากจะนำมาใช้ทำไวน์แล้ว พันธุ์คราเซนยายังใช้ทำแยมโฮมเมดได้หลากหลายชนิด เบอร์รี่คราเซนยาสามารถนำมาประกอบอาหารได้ดังนี้:
- องุ่นบด;
- ผลไม้แช่แข็งในช่องแช่แข็งสำหรับฤดูหนาว
- ลูกเกด;
- เครื่องดื่มผลไม้และผลไม้รวม
- แยมและผลไม้แช่อิ่ม
ในปี พ.ศ. 2551 Krasen ได้รับการขึ้นทะเบียนในทะเบียนพันธุ์พืชเพื่อการใช้งานระดับมืออาชีพ

ทนทานต่อน้ำค้างแข็งสูง
พันธุ์นี้เจริญเติบโตได้ดีในพื้นที่ทางตอนเหนือของรัสเซีย เช่น ออมสค์ โนโวซีบีสค์ และบาร์นาอูล เนื่องจากมีความทนทานต่อน้ำค้างแข็ง เช่น สามารถทนต่ออุณหภูมิ -25 องศาเซลเซียสในฤดูหนาวได้
พันธุ์นี้เสี่ยงต่อแมลงและโรคไหมคะ?
องุ่นมักเสี่ยงต่อการติดเชื้อราและราดำ เกษตรกรใช้สารฆ่าเชื้อรากับต้นองุ่นมากถึงสี่ครั้งต่อฤดูกาล โรคราแป้งเป็นสาเหตุที่พบบ่อยที่สุด หากต้นองุ่นติดเชื้อ จำเป็นต้องตัดกิ่งที่ได้รับผลกระทบออก

เทคโนโลยีการปลูกพืช
องุ่นพันธุ์คราเซนปรับตัวได้ง่าย หากดูแลอย่างเหมาะสม ต้นจะตั้งตัวในดินได้อย่างรวดเร็วและเริ่มออกผลภายในหนึ่งถึงสองปีหลังจากปลูก ในฤดูใบไม้ผลิ จะปลูกในหลุมที่เตรียมไว้และรดน้ำให้ชุ่ม
การคัดเลือกต้นกล้า
ต้นกล้าคุณภาพดีเกรด 1 ควรมีราก 3-4 ราก ความหนาของโคนรากไม่ควรบางเกิน 2 มิลลิเมตร
คุณสามารถซื้อต้นกล้าชั้นสองหรือชั้นหนึ่งได้ แต่คุณจะต้องปลูกเองก่อนที่จะปลูกในสวนของคุณ

การเตรียมพื้นที่และหลุมปลูก
องุ่นต้องการแสงแดดมาก ด้วยเหตุนี้จึงปลูกในฤดูใบไม้ผลิเสมอ และเตรียมหลุมเพาะกล้าในฤดูใบไม้ร่วง มีการระบายน้ำ ดินชั้นบน และปุ๋ยที่โคนต้น หากไม่ได้เตรียมหลุมในฤดูใบไม้ร่วง ก็สามารถปลูกได้ในช่วงเดือนที่อากาศอบอุ่น ซึ่งจะทำให้ต้นกล้าหยั่งรากได้นานขึ้น
ระยะเวลาและกฎเกณฑ์ในการดำเนินการปลูก
อุณหภูมิที่เหมาะสมที่สุดสำหรับการปลูกองุ่นคือระหว่าง 5 ถึง 15 องศาเซลเซียส อย่ารีบปลูกองุ่นพันธุ์ผสมหากมีความเสี่ยงต่อน้ำค้างแข็งในฤดูใบไม้ผลิ ช่วงเวลาที่เหมาะสมที่สุดในการปลูกต้นกล้าในดินคือปลายเดือนมีนาคมหรือต้นเดือนพฤษภาคม คุณสามารถปลูกพุ่มองุ่นในฤดูใบไม้ร่วงที่อบอุ่นได้ แต่ไม่ควรเกินต้นเดือนตุลาคม

การดูแลรักษาองุ่นคราเซน
หลังจากปลูกแล้ว ควรรดน้ำต้นกล้าให้ชุ่มหลายๆ ครั้ง หากฝนตกก็สามารถข้ามการรดน้ำได้ หากปลูกต้นกล้าเร็วเกินไปและมีความเสี่ยงสูงที่จะเกิดน้ำค้างแข็ง ควรหยุดรดน้ำเพื่อชะลอการติดผล
การรดน้ำและการใส่ปุ๋ย
ในช่วงอากาศร้อน ควรรดน้ำต้นละ 1-2 ถัง ควรรดน้ำต้นกล้า 2-3 ครั้งต่อฤดูกาล ในระยะแรก การใส่ปุ๋ยลงในหลุมก่อนปลูกก็เพียงพอแล้ว
เมื่อต้นองุ่นเริ่มออกดอก ก็สามารถใส่ปุ๋ยแร่ธาตุและปุ๋ยอินทรีย์ได้ เพื่อป้องกันไม่ให้องุ่นคุ้นเคยกับปุ๋ยที่มีสารอาหารสูง แนะนำให้สลับใส่ปุ๋ย สามารถเติมโพแทสเซียมในช่วงที่ผลสุกได้

การก่อตัวของเถาวัลย์ที่ออกผล
องุ่นจะเริ่มก่อตัวเป็นพวงในเดือนมิถุนายน แต่ผลองุ่นจะรับประทานได้เฉพาะช่วงกลางเดือนสิงหาคมเท่านั้น พันธุ์คราเซนมักจะสุกเต็มที่ในช่วงปลายฤดูร้อน และในภาคเหนือประมาณกลางเดือนกันยายน เถาองุ่นจะออกพวงองุ่นทรงกลมเป็นรูปกรวยสม่ำเสมอ
การคลายและคลุมดิน
ในฤดูใบไม้ผลิ มักนิยมคลุมดินรอบพุ่มไม้เพื่อรักษาความชื้นในดินและลดการเติบโตของวัชพืช ส่วนฤดูร้อน ควรพรวนดินรอบพุ่มไม้ให้ลึก 10-15 เซนติเมตร เมื่อมีวัชพืชงอกขึ้นมาและมีคราบเกาะบนผิวดิน

การรักษาเชิงป้องกัน
การเจริญเติบโตของพุ่มไม้แต่ละระยะจำเป็นต้องได้รับการดูแล เนื่องจากโรคและแมลงศัตรูพืชอาจแตกต่างกันไปในแต่ละช่วงเวลาของปี ปุ๋ยและสเปรย์สมุนไพรจะถูกใช้เมื่อตาดอกเริ่มบวม เมื่อใบเริ่มงอก และเมื่อผลเริ่มออกผลจากช่อดอก การดูแลครั้งต่อไปสามารถทำได้ในช่วงกลางฤดูร้อน ส่วนการดูแลป้องกันขั้นสุดท้ายจะดำเนินการหลังการเก็บเกี่ยว
การเตรียมเถาวัลย์สำหรับฤดูหนาว
ในภาคใต้ ไม่จำเป็นต้องคลุมพุ่มไม้ในช่วงฤดูหนาวหากอากาศอบอุ่น ในภาคเหนือ แนะนำให้คลุมเถาวัลย์ก่อนน้ำค้างแข็ง ควรใช้เสื่อฟางและวัสดุอื่นๆ ที่เหมาะสมในการคลุม นอกจากนี้ยังสามารถใช้ผ้าเคลือบน้ำมันได้อีกด้วย

การสืบพันธุ์ของพันธุ์
เถาองุ่น Krasenya สามารถขยายพันธุ์ได้โดยการแยกหน่อหรือการปักชำ กิ่งพันธุ์สามารถหยั่งรากในดินได้ง่ายและเติบโตเป็นต้นกล้าได้ง่าย ผู้เชี่ยวชาญแนะนำให้ขยายพันธุ์องุ่นในฤดูใบไม้ผลิ ส่วนผลผลิตจะน้อยกว่าในฤดูใบไม้ร่วง
การตัดกิ่งที่ปลูกในช่วงกลางฤดูใบไม้ผลิจะสามารถหยั่งรากได้ภายในฤดูร้อนและตั้งตัวในดินได้ก่อนที่อากาศหนาวเย็นจะมาถึง
ชาวสวนบางคนขยายพันธุ์องุ่นโดยการตอนกิ่ง ซึ่งเกี่ยวข้องกับการถอนราก ไม่จำเป็นต้องแยกยอดออกจากต้นหลัก กฎหลักคือไม่ควรตัดยอดจากต้นแม่เกินสองชั้น

บทวิจารณ์
อิลยา มอสโกว์
ฉันเลือกองุ่นพันธุ์นี้เพราะสะสมสารเคมีและสารฆ่าเชื้อราน้อยที่สุด มันงอกภายในเวลาเพียงสองปีหลังจากปลูก
มาริน่า ภูมิภาคไครเมีย
"ต้นคราเซนดูแลง่ายเพราะไม่ต้องการการดูแลมากและปรับตัวเข้ากับดินและสภาพอากาศได้ง่าย ต้นกล้าแรกๆ ก็งอกในปีถัดมา"
บทสรุป
องุ่นพันธุ์นี้จะได้รับความชื่นชมอย่างมากจากทั้งนักทำสวนที่มีประสบการณ์และมือใหม่ จุดเด่นของ Krasenya แตกต่างจากองุ่นสีเข้มพันธุ์อื่นๆ คือรสชาติ หากใส่ปุ๋ยอย่างเหมาะสมและรดน้ำอย่างถูกวิธี ผลผลิตจะอุดมสมบูรณ์











