- รายละเอียดและคุณสมบัติ
- เถาวัลย์
- ช่อดอก
- เบอร์รี่
- รสชาติ
- ภูมิภาคที่กำลังเติบโต
- ประวัติการคัดเลือก
- ลักษณะเด่น
- ความต้านทานต่อความแห้งแล้ง
- ความต้านทานต่อน้ำค้างแข็ง
- ผลผลิตและการออกผล
- พื้นที่การประยุกต์ใช้ผลไม้
- ความต้านทานต่อโรคและแมลง
- ข้อดีข้อเสียของความหลากหลาย
- วิธีการปลูกที่ถูกต้อง
- คำแนะนำในการเลือกกำหนดเวลา
- การเลือกสถานที่
- ความต้องการของดิน
- การเตรียมพื้นที่
- วิธีการเลือกและเตรียมวัสดุปลูก
- แผนผังการปลูก
- คำแนะนำในการดูแล
- โหมดการรดน้ำ
- น้ำสลัด
- การเตรียมตัวรับมือฤดูหนาว
- การคลุมดิน
- การป้องกันโรคและแมลงศัตรูพืช
- การตัดแต่ง
- วิธีการสืบพันธุ์
- การเก็บเกี่ยวและการเก็บรักษา
- เคล็ดลับจากนักจัดสวนผู้มีประสบการณ์
องุ่นพันธุ์โครินกา รัสสกายา (Korinka Russkaya) เป็นองุ่นไร้เมล็ดที่โดดเด่นไม่เพียงแต่ผลสุกเร็วเท่านั้น แต่ยังทนทานต่อน้ำค้างแข็ง ให้ผลผลิตสูง สภาพการปลูกที่ไม่ต้องการการดูแลมาก และรสชาติที่ยอดเยี่ยม องุ่นพันธุ์โครินกาเป็นไม้ประดับที่ช่วยเพิ่มความสวยงามให้กับสวนของคุณ เหมาะอย่างยิ่งสำหรับพื้นที่ละติจูดตอนเหนือและสำหรับผู้ปลูกองุ่นมือใหม่
รายละเอียดและคุณสมบัติ
ชาวสวนชื่นชอบลูกเกดรัสเซียเพราะเก็บเกี่ยวได้เร็ว โดยเก็บเกี่ยวได้เร็วสุดปลายเดือนกรกฎาคมหรือต้นเดือนสิงหาคม พันธุ์นี้ได้รับการยอมรับทั่วโลกด้วยคุณสมบัติเฉพาะตัว
เถาวัลย์
พันธุ์ที่เติบโตเร็วนี้มีเถาวัลย์ที่แข็งแรงและแข็งแรง สามารถรองรับผลผลิตได้มาก โดยสูงถึง 3 เมตร กิ่งก้านของต้นรัสเซียนโครินก้ามีสีน้ำตาลอ่อน กว้าง และมีใบขนาดใหญ่ ผ่าออกเป็น 5 แฉก ใบสีเขียวสดมีเส้นใบสีเหลืองและมีขนเล็กน้อย รากแข็งแรงและเจริญเติบโตดี
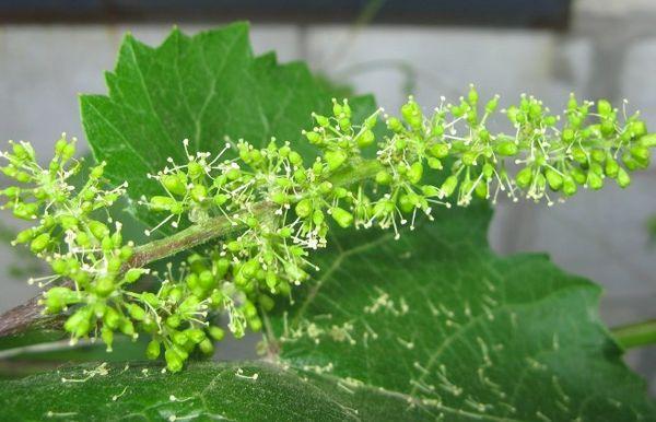
ช่อดอกมีขนาดเล็ก น้ำหนักประมาณ 200-300 กรัม รูปทรงกรวย โครงสร้างค่อนข้างหลวม มีกิ่งก้านด้านข้าง บางครั้งช่อดอกจะมีลักษณะคล้ายปีก เพื่อเพิ่มผลผลิต โครินก้าจึงได้รับจิบเบอเรลลิน โดยแต่ละยอดจะแตกช่อดอกออกมาหนึ่งช่อ
ช่อดอก
เถาวัลย์มีดอกสีขาวขนาดเล็ก ออกเป็นสองเพศ พันธุ์นี้สามารถผสมเกสรได้เอง รัสเซียนคอรินเทียนเริ่มบานในช่วงปลายเดือนพฤษภาคมหรือต้นเดือนมิถุนายน ซึ่งใช้เวลาประมาณ 10-12 วัน
องุ่นให้ผลตั้งแต่ปีแรก แต่หลังจาก 2-3 ปี ผลผลิตจะสูงกว่าการเก็บเกี่ยวในปีแรกถึง 2 เท่า

เบอร์รี่
ผล Corinka ของรัสเซียมีขนาดเล็ก กลม มีเส้นผ่านศูนย์กลาง 1-1.5 ซม. หนัก 1.5-2 กรัม ผลมีสีเหลืองทอง เมื่อสุกจะเปลี่ยนเป็นสีชมพู
รสชาติ
เนื้อของผลโครินก้ามีรสหวานมาก ไม่มีรสค้างอยู่ในปาก ฉ่ำน้ำ และมีกลิ่นองุ่นอ่อนๆ ผลมีเปลือกบางและเหนียวปกคลุม มีเมล็ดอยู่แต่มีขนาดเล็กและนิ่มมาก ทำให้ไม่สังเกตเห็นและรับรู้ได้เมื่อรับประทาน จึงเหมาะอย่างยิ่งสำหรับเป็นอาหารเด็ก
ผลไม้ Corinka ของรัสเซียมีปริมาณน้ำตาลสูงถึง 23% ขึ้นไป และมีความเป็นกรดสูงถึง 5 กรัมต่อลิตร ซึ่งถือเป็นอัตราส่วนของความเป็นกรดและปริมาณน้ำตาลที่เหมาะสมที่สุด
ภูมิภาคที่กำลังเติบโต
ลูกเกดรัสเซียเจริญเติบโตได้ดีในทุกสภาพอากาศ เถาองุ่นสามารถอยู่รอดได้ที่อุณหภูมิ -30°C และเจริญเติบโตอย่างต่อเนื่อง ซึ่งทำให้ชาวสวนในพื้นที่ภาคเหนือสามารถปลูกองุ่นในแปลงปลูกของตนเองได้
ในรัสเซีย พันธุ์นี้ได้รับความนิยมในภาคใต้ ภาคกลางและตะวันตกเฉียงเหนือ ภาคตะวันออกไกล และไซบีเรีย

องุ่นยังเป็นที่ต้องการในหมู่ชาวโปแลนด์ ชาวเบลเยียม ชาวบอลติก และชาวแคนาดา
ประวัติการคัดเลือก
พันธุ์โครินกาไร้เมล็ดได้รับการพัฒนาโดยนักเพาะพันธุ์ชาวทัมบอฟ ไอ. เอ็ม. ฟิลิปเพนโก และ แอล. ที. ชติน ที่ห้องปฏิบัติการกลางสวนไอ. วี. มิชูริน ผู้เขียนได้ใช้พ่อแม่พันธุ์ของซาร์ยา เซเวรา และคิชมิช เชอร์นี เพื่อผลิตพันธุ์ที่ทนทานต่อฤดูหนาว ความพยายามของพวกเขาประสบความสำเร็จ ต้นพันธุ์ใหม่นี้สามารถทนต่ออุณหภูมิ -30°C ได้ พันธุ์นี้ได้รับการขึ้นทะเบียนในทะเบียนรัฐของภูมิภาคเซ็นทรัลแบล็คเอิร์ธ
ลักษณะเด่น
โครินก้าสุกเต็มที่ภายใน 105-112 วันนับจากเริ่มฤดูปลูก พันธุ์นี้ผ่านการทดสอบความทนทานต่อน้ำค้างแข็งและภัยแล้ง ทนต่ออุณหภูมิที่ผันผวนและสภาพอากาศที่รุนแรง
ความต้านทานต่อความแห้งแล้ง
องุ่นรัสเซียคอรินเทียนยังสามารถทนต่อสภาพอากาศร้อนจัดได้ แม้จะผ่านช่วงแล้งที่ยาวนาน อย่างไรก็ตาม ในช่วงที่ผลสุก จำเป็นต้องรดน้ำอย่างสม่ำเสมอและเพียงพอเพื่อให้มั่นใจว่าจะได้ผลผลิตที่อุดมสมบูรณ์

ความต้านทานต่อน้ำค้างแข็ง
รัสเซียนคอรินเทียนเป็นพันธุ์ที่ทนทานต่อความหนาวเย็น สามารถทนต่ออุณหภูมิต่ำถึง -30°C ไม่จำเป็นต้องมีที่พักพิงในฤดูหนาวในพื้นที่ทางตอนใต้ อย่างไรก็ตาม ขอแนะนำให้ปกป้องพุ่มไม้อ่อนก่อนน้ำค้างแข็งครั้งแรก (ปลายเดือนกันยายนหรือต้นเดือนตุลาคม) ก่อนฤดูหนาวครั้งแรก
ผลผลิตและการออกผล
องุ่นโครินก้าให้ผลผลิตประมาณ 80 เซ็นต์เนอร์ต่อเฮกตาร์ อายุของต้นองุ่นอยู่ระหว่าง 2/3 ถึง 6/7 ของพื้นที่ทั้งหมด
ภายในปีแรก คุณสามารถปลูก Russian Corinth ให้ได้ผลผลิตจำนวนมาก โดยพุ่ม 1 พุ่มให้ผลผลิตมากถึง 12 กิโลกรัม
พื้นที่การประยุกต์ใช้ผลไม้
ผลเบอร์รี่ของ Russian Corinthian ถูกนำมาใช้อย่างแพร่หลาย ทั้งแบบสด ใช้ในอาหารและเครื่องดื่มหลากหลายชนิด และใช้เป็นแยมสำหรับฤดูหนาว พันธุ์ที่ใช้รับประทานบนโต๊ะเหมาะสำหรับทำแยม ผลไม้แช่อิ่ม น้ำผลไม้ และเยลลี่ นอกจากนี้ยังใช้ลูกเกดทำเป็นของหวานได้หลากหลายชนิด ผู้ผลิตไวน์นิยมใช้ Russian Corinthian เนื่องจากผลเบอร์รี่เหล่านี้ทำให้ไวน์มีรสชาติอร่อยและเบา

ความต้านทานต่อโรคและแมลง
โครินธ์ไม่ต้านทานต่อแมลงและโรค มีความเสี่ยงต่อการติดเชื้อ:
- ออยเดียม - ส่วนต่าง ๆ ของต้นองุ่นมีชั้นสีขาวปกคลุม
- รา - จุดมันก่อตัวบนใบ ซึ่งการแพร่กระจายจะทำลายเถาวัลย์และพืชที่อยู่ใกล้เถาวัลย์ที่สุด
- ราสีเทา - พุ่มไม้ถูกปกคลุมด้วยเชื้อราสีเทา ซึ่งจะฆ่าเถาวัลย์ทั้งหมดอย่างรวดเร็วและแพร่เชื้อไปยังพืชสวนอื่นๆ
เพื่อป้องกันไม่ให้ต้นองุ่นตาย จำเป็นต้องได้รับการบำรุงและบำรุงรักษาอย่างทันท่วงที องุ่นได้รับการปกป้องจากแมลงบินด้วยตาข่ายพิเศษ
ข้อดีข้อเสียของความหลากหลาย
Russian Corinth โดดเด่นจากพันธุ์ไร้เมล็ดอื่นๆ:
- การเจริญเติบโตสูงสุดของยอด;
- รสหวาน;
- ผลผลิตสูง;
- ความทนทานทำให้สามารถขนส่งผลเบอร์รี่ได้ในระยะทางไกลโดยไม่สูญเสียปริมาณและคุณภาพ
- มีขอบเขตการใช้งานที่กว้างขวาง;
- ไม่มีผลเป็นรูปถั่ว
- ทนทานต่อน้ำค้างแข็งและความแห้งแล้งในฤดูหนาวที่รุนแรง
- แทบไม่มีเมล็ดเลย
- ความสวยงาม;
- ความไม่โอ้อวดในการดูแล;
- การผสมเกสรด้วยตนเอง
- การเจริญเติบโตเร็วมาก
ในบรรดาข้อดีมากมายของพันธุ์นี้ ข้อเสีย เช่น ภูมิคุ้มกันโรคอ่อนแอและมีความเสี่ยงต่อแมลงศัตรูพืชก็ดูจะน้อยลง นอกจากนี้ ปัญหาเหล่านี้ยังสามารถป้องกันได้และกำจัดได้ง่าย
วิธีการปลูกที่ถูกต้อง
ก่อนปลูกองุ่นอ่อนต้องเตรียมดินให้พร้อม ดินใต้ต้นองุ่นก็ต้องได้รับการดูแลเบื้องต้นเช่นกัน
คำแนะนำในการเลือกกำหนดเวลา
ควรปลูก Russian Corinthium หลังจากน้ำค้างแข็งครั้งสุดท้ายผ่านไปแล้ว ในบางพื้นที่ ช่วงเวลาที่เหมาะสมคือต้นเดือนพฤษภาคม ในขณะที่บางพื้นที่อาจต้องรอจนถึงต้นเดือนมิถุนายน สิ่งสำคัญคือต้องแน่ใจว่าดินอุ่นเพียงพอ ควรปลูกในตอนเช้าหรือตอนเย็น เพราะองุ่นจะหยั่งรากได้เร็วกว่าในวันที่อากาศครึ้ม
หากคุณวางแผนจะปลูกพืชผลในฤดูใบไม้ร่วง ควรทำในเดือนตุลาคม และอย่าลืมคลุมพุ่มไม้อ่อนไว้ในช่วงฤดูหนาว เนื่องจากพืชยังไม่มีเวลาที่จะปรับตัวเข้ากับสภาพแวดล้อม
การเลือกสถานที่
เพื่อให้แน่ใจว่าองุ่นสะสมน้ำตาลได้มากที่สุด แนะนำให้ปลูกองุ่นในส่วนทางทิศใต้ของแปลง ห่างจากต้นไม้และพุ่มไม้ที่บังแดดให้เถาวัลย์และทำให้การเจริญเติบโตช้าลง

พันธุ์นี้ชอบพื้นที่สว่าง ไม่มีลมโกรก และป้องกันลมแรง
ไม่ควรปลูกต้นรัสเซียนเคอร์แรนท์ใต้ความลาดชันของหลังคา เพราะถ้าน้ำจากหลังคาไหลลงไปที่ต้นไม้ ต้นจะตายได้
ความต้องการของดิน
ต้นโครินก้าเจริญเติบโตได้ดีในดินทุกประเภท แต่ไม่ควรให้ดินร่วนซุยจนเกินไป ต้นโครินก้าเจริญเติบโตได้ดีที่สุดในดินดำที่อุดมสมบูรณ์ ส่วนดินประเภทอื่น ๆ จำเป็นต้องใส่ปุ๋ยเพื่อให้ดินร่วนซุยและมีคุณค่าทางโภชนาการ
ความใกล้ชิดของน้ำใต้ดินก็มีความสำคัญเช่นกัน โดยในอุดมคติ น้ำใต้ดินควรอยู่ลึก หากความลึกน้อยกว่า 2 เมตร จะต้องติดตั้งระบบระบายน้ำ โดยวางหินบด อิฐแตก หรือดินเหนียวขยายตัวที่ก้นหลุมแต่ละหลุม
องุ่นเจริญเติบโตได้ดีในดินร่วนปนทรายหรือดินหินที่มีฮิวมัสอุดมสมบูรณ์ และผลองุ่นจะสุกเร็วกว่าในดินประเภทนี้ 10-14 วัน ดินพีทหรือดินเหนียวต้องระบายน้ำออกด้วยหินบด
การเตรียมพื้นที่
พื้นที่ที่จัดสรรไว้สำหรับปลูกองุ่นจะต้องขุดออก กำจัดวัชพืชและตัวอ่อนแมลงทั้งหมด และเพิ่มปุ๋ยแร่ธาตุและปุ๋ยอินทรีย์

ก่อนปลูกต้นกล้า 25-30 วัน ให้ขุดหลุมให้กว้าง 80-90 ซม. ลึก 90-100 ซม. โดยเว้นระยะห่างระหว่างหลุมประมาณ 3 เมตร หากมีต้นกล้ามากเกินไปในพื้นที่ที่จัดสรรไว้ ให้ขุดร่องกว้าง 50 ซม. ลึก 80 ซม. โดยปลูกต้นกล้าให้ห่างกัน 1 เมตร
เติมหลุมครึ่งหนึ่งด้วยส่วนผสมของดินที่อุดมสมบูรณ์ (เอาดินออกจากด้านบนประมาณ 20-30 ซม.) และปุ๋ยอินทรีย์ (สำหรับปุ๋ยคอกหรือปุ๋ยหมักที่เน่าเปื่อย 20 ลิตร ให้ใช้ขี้เถ้าไม้ 1.5 กก. และไนโตรอัมโมฟอสกาหรือปุ๋ยเชิงซ้อนอื่นๆ 300 กรัม)
บนดินเบา คุณสามารถขุดหลุมเล็กๆ ได้ บนดินเหนียว คุณสามารถขุดหลุมขนาดใหญ่ได้
หากต้องการเก็บเกี่ยวผลผลิตจำนวนมาก ควรปลูก Russian Corinth บนโครงตาข่าย:
- ฝังหรือฉาบปูนเสาโลหะสูง 3-5 เมตร ลงในดินให้มีความลึก 1 เมตร ห่างกัน 1.5-2 เมตร
- ขึงลวดให้ตึงบนเสาที่มีหน้าตัด 7-9.5 ซม. โดยแถวแรกอยู่ห่างจากพื้นดิน 50 ซม. ส่วนแถวต่อๆ ไปจะมีระยะห่างเท่ากัน
ในช่วงฤดูฝนและไม่มีเวลาขุดหลุม คุณสามารถปล่อยต้นกล้า Korinka ไว้จนกว่าจะปลูกในฤดูใบไม้ร่วงได้
คุณสามารถเก็บรักษาพืชผลไว้ได้จนถึงเวลานี้โดยปลูกในภาชนะที่มีรูระบายน้ำ เติมดินไว้ครึ่งหนึ่ง และรดน้ำเป็นประจำ
วิธีการเลือกและเตรียมวัสดุปลูก
ควรตรวจสอบต้นกล้าที่ซื้อจากร้านค้าว่ามีความเสียหาย รากแห้ง และแมลงหรือโรครบกวนหรือไม่ เพื่อฟื้นฟูต้นกล้า คุณสามารถตัดแต่งกิ่งและรากเล็กน้อย
การเตรียมต้นกล้ารัสเซียนคอรินเธียมสำหรับการปลูกเริ่มต้นด้วยการทำให้ต้นกล้าแข็งแรงขึ้นเพื่อให้เจริญเติบโตอย่างรวดเร็วและปราศจากโรค โดยนำเถาองุ่นออกไปข้างนอกทุกวันเป็นเวลา 12-14 วัน (แต่ไม่ควรตากแดดโดยตรง) ในวันแรก ให้นำเถาองุ่นออกไปปลูกเป็นเวลา 20 นาที แล้วค่อยๆ เพิ่มเวลาขึ้นวันละ 30 นาที สำหรับ 3-4 วันสุดท้าย ควรนำต้นคอรินเธียมไปปลูกกลางแจ้งอย่างต่อเนื่อง
หากนักพยากรณ์อากาศคาดการณ์ว่าจะมีน้ำค้างแข็ง ควรเลื่อนขั้นตอนการแข็งตัวของ Russian Corinth ออกไปก่อน และรอจนกว่าสภาพอากาศจะเอื้ออำนวย
แผนผังการปลูก
ก่อนปลูกต้องผสมดินในหลุมที่เตรียมไว้ โดยเทน้ำหลุมละ 20 ลิตร และรอให้ความชื้นดูดซับจนหมดจึงเติมดินลงไปเล็กน้อย
เมื่อปลูก ให้วางรากและก้อนดินลงในส่วนผสมดินที่อุดมสมบูรณ์ แล้วกลบด้วยดิน จากนั้นบดอัดดินให้แน่น รดน้ำต้นกล้าด้วยน้ำอุ่น เติมดินเพิ่ม (โดยไม่ต้องบดอัดให้แน่น) และคลุมด้วยวัสดุคลุมดินเพื่อป้องกันการเกิดคราบแข็งและความชื้นระเหย
โซนการสร้างรากของ Corinthium ควรอยู่ต่ำกว่าระดับพื้นดิน 30-40 ซม. และ “ตา” ที่ยอดที่ต่ำที่สุดเติบโตมาควรอยู่ต่ำกว่าระดับเดียวกัน 7-10 ซม.
ต้นกล้าที่ยาวเกินไปจะต้องปลูกในมุมเอียง
คำแนะนำในการดูแล
จำเป็นต้องดูแล Russian Corinthium ก่อนที่ศัตรูพืชหรือโรคจะเข้าทำลายเถาวัลย์ ควรรดน้ำ ใส่ปุ๋ย พรวนดิน และกำจัดวัชพืชเป็นประจำ

โหมดการรดน้ำ
รดน้ำองุ่นในตอนเย็นด้วยน้ำอุ่นเดือนละ 1-2 ครั้ง ในสภาพอากาศร้อน รดน้ำทุก 10 วัน แต่ละพุ่มต้องการน้ำที่ตกตะกอน 5-10 ลิตร
หยุดรดน้ำดินก่อนการเก็บเกี่ยว 30 วัน
น้ำสลัด
ต้นรัสเซียนคอรินเทียไม่จำเป็นต้องใส่ปุ๋ยอย่างเข้มข้นในปีแรกหลังปลูก เนื่องจากได้ใส่ปุ๋ยที่จำเป็นทั้งหมดแล้วเมื่อปลูก ในช่วงปลายฤดูร้อน คุณสามารถเติมสารอาหารผสมเพื่อเตรียมพร้อมสำหรับฤดูหนาวได้ ได้แก่ โพแทสเซียมซัลเฟต 10 กรัม และซุปเปอร์ฟอสเฟต 20 กรัม ต่อพื้นที่ 1 ตารางเมตร
ในปีถัดมา จะมีการใส่ปุ๋ยเคมีสี่ครั้งต่อฤดูกาล ได้แก่ ปุ๋ยไนโตรเจนในฤดูใบไม้ผลิ ปุ๋ยโพแทสเซียมและฟอสฟอรัสก่อนออกดอกและระหว่างการติดผล และปุ๋ยแร่ธาตุหรือปุ๋ยอินทรีย์หลังจากเก็บเกี่ยวผลเบอร์รี่แล้ว ในฤดูใบไม้ร่วง ก่อนฤดูหนาว จะมีการใส่ปุ๋ยอินทรีย์เล็กน้อย
การเตรียมตัวรับมือฤดูหนาว
ก่อนถึงช่วงน้ำค้างแข็งในเดือนตุลาคม พุ่มไม้ Corinth ที่ยังอ่อนจะถูกถอดออกจากโครงตาข่าย วางลงบนพื้น และคลุมด้วยใยสังเคราะห์ ฟาง หรือกิ่งสน และโรยด้วยดินด้านบน
การคลุมดิน
คลุมดินโครินก้าด้วยหญ้าที่ตัดแล้ว ฟาง หรือพีท เพื่อช่วยให้ดินคงความชุ่มชื้นได้นานขึ้น คลุมดินหนาอย่างน้อย 10 ซม.

การป้องกันโรคและแมลงศัตรูพืช
ในฤดูใบไม้ผลิ ควรฉีดพ่น Russian Corinthia ด้วยส่วนผสมบอร์โดซ์ 1% (ปูนขาว 450 กรัมและคอปเปอร์ซัลเฟต 300 กรัม เจือจางในน้ำ 10 ลิตร) ซึ่งจะช่วยป้องกันการเจริญเติบโตของเชื้อรา
เพื่อป้องกันแมลงศัตรูพืช ควรฉีดพ่นต้นไม้ด้วยส่วนผสมของสบู่ซักผ้า (ละลาย 1 แท่งใน 10 ลิตร)
ทันทีหลังจากปลูก ต้นกล้า Korinka จะถูกบังแสงแดดเป็นเวลา 10-14 วัน โดยคลุมด้วยผ้าสปันบอนด์หรือวัสดุอื่นๆ ที่มีอยู่
ลูกเกดรัสเซียไม่ต้านทานแมลงและโรคมากนัก ดังนั้นเพื่อป้องกันไม่ให้พืชติดเชื้อ จึงมีมาตรการป้องกันดังนี้:
- เพื่อป้องกันโรคราน้ำค้าง ก่อนที่ตาดอกจะบาน ให้ฉีดพ่นเถาวัลย์ด้วยสารละลายบอร์โดซ์ 3% หรือคูมูลัส โทแพซ และควาดริส
- เชื้อราสามารถรักษาได้ด้วยส่วนผสมบอร์โดซ์หรือแอนทราคอล ธานอส
- คอปเปอร์ซัลเฟตจะช่วยต่อต้านเชื้อราสีเทาได้ (เจือจางส่วนผสม 10 กรัมในน้ำ 10 ลิตร)
เพื่อป้องกันไม่ให้ต้นไม้ตาย จำเป็นต้องทำให้ต้นไม้แข็งแรงในเวลาที่เหมาะสม ดูแลอย่างเหมาะสม และปกป้องในเวลาที่เหมาะสม

เพื่อป้องกันตัวต่อ แตน และนกเข้ามาทำลายผลผลเบอร์รี่หวานๆ จำเป็นต้องคลุมพวงผลเบอร์รี่ด้วยถุงตาข่ายพิเศษเพื่อป้องกันไม่ให้ใครเข้าถึงผลไม้ได้
คุณสามารถคลุมโครงองุ่นให้มิดชิดด้วยตาข่ายละเอียดได้
ดินรอบต้นกล้าได้รับการบำบัดด้วย Storm เพื่อป้องกันหนู
ไม่แนะนำให้ใช้สารเคมีกับเถาองุ่น Korinka เกิน 3 ครั้งต่อฤดูกาล ต้องปฏิบัติตามคำแนะนำ
การตัดแต่ง
เถาวัลย์ Korinka ต้องมีการตัดกิ่งเพื่อการเจริญเติบโต การแยกกิ่ง และการตัดแต่งกิ่งอย่างถูกสุขอนามัย ซึ่งจะดำเนินการในฤดูใบไม้ผลิและฤดูใบไม้ร่วง
ต้นองุ่นหนึ่งต้นควรมีตารวมสูงสุด 40 ตา ผลผลิตมีการควบคุม โดยเหลือไว้หนึ่งกำต่อต้น

ในปีแรกหลังปลูก ต้นโครินก้าจะถูกตัดยอดออกเหลือสองตา โดยตัดตาที่เหลือออกทั้งหมด ในระหว่างการตัดแต่งกิ่งประจำปี ให้ตัดตาออกทั้งหมดประมาณหกถึงแปดตา เพื่อป้องกันไม่ให้พุ่มหนาทึบกลายเป็นแหล่งเพาะพันธุ์โรคหรือลดผลผลิต
นอกจากนี้ รากฟันที่อยู่ภายนอกก็จะถูกกำจัดออกด้วย ซึ่งเป็นขั้นตอนที่เรียกว่า การรักษารากฟัน
วิธีการสืบพันธุ์
การขยายพันธุ์องุ่นด้วยการปักชำ ในตอนเย็นของปลายเดือนพฤษภาคมหรือต้นเดือนมิถุนายน จะมีการตัดแต่งกิ่งจากส่วนล่างหรือส่วนกลางของเถาองุ่น นำไปใส่ในถัง ฉีดน้ำ และคลุมด้วยผ้าชื้น หลังจากนั้นจะนำไปเก็บไว้ในห้องใต้ดินหรือกล่องข้ามคืน
- ในกล่องลึก 50 ซม. ให้รองด้วยฟิล์มหรือแก้วที่ด้านล่าง จากนั้นใส่ดินที่อุดมสมบูรณ์ลงไป 10 ซม. และวางทรายหนา 5 ซม. ไว้ด้านบน
- น้ำด้วยน้ำปริมาณมาก
- ตัดกิ่งพันธุ์เป็นท่อนๆ มี 2 ใบ โดยตัดใบล่างออก และตัดใบบนออกครึ่งหนึ่ง
- หลังจากนั้นให้นำกิ่งพันธุ์ไปวางในภาชนะที่มีน้ำทันที จากนั้นจึงนำไปปลูกในทรายให้ลึกประมาณ 3 ซม. โดยวางให้ห่างกันประมาณ 10 ซม.
- ฉีดน้ำใส่กิ่งพันธุ์ที่ปลูกแล้ว และปิดกล่องด้วยกระจกหรือฟิล์ม เพื่อสร้างเป็นเรือนกระจกชนิดหนึ่ง
- ทุกวัน 4-5 ครั้งต่อวัน คุณต้องฉีดพ่นต้นไม้ด้วยน้ำที่อุ่นถึง +20°C โดยใช้กระป๋องรดน้ำหรือขวดสเปรย์
- เมื่อรากเริ่มออกแล้วหลังจาก 12-14 วัน ให้ฉีดพ่นวันละ 3 ครั้ง

หลังจากผ่านไป 1 เดือน ระบบรากของ Russian Corinth จะถูกสร้างขึ้น และคุณสามารถทำให้กิ่งปักชำแข็งแรงขึ้นได้โดยเปิดกล่องในช่วงแรกเป็นเวลา 10 นาทีต่อวัน จากนั้นเปิดเพิ่มอีก 30 นาทีทุกวัน
กล่องนี้สามารถเปลี่ยนเป็นแปลงเพาะชำหรือโรงเรือนได้
การเก็บเกี่ยวและการเก็บรักษา
ผลขององุ่นรัสเซียโครินก้าสามารถเก็บไว้บนต้นได้นาน ทำให้มีน้ำตาลมากขึ้น สามารถแช่เย็นได้เป็นเวลานานโดยไม่สูญเสียรสชาติ องุ่นเหล่านี้เหมาะสำหรับการขนส่งระยะไกล จึงเหมาะสำหรับการเพาะปลูกเชิงพาณิชย์

เคล็ดลับจากนักจัดสวนผู้มีประสบการณ์
ยิ่งผลเบอร์รี่สุกอยู่บนพุ่มไม้นานเท่าไหร่ ก็ยิ่งมีรสชาติอร่อยมากขึ้นเท่านั้น ผลเบอร์รี่ที่หวานที่สุดจะถูกเก็บเกี่ยวในแถบภาคเหนือในช่วงต้นเดือนกันยายน ก่อนที่น้ำค้างแข็งจะมาเยือน
จากการสำรวจผู้ปลูกองุ่น Korinka ที่มีประสบการณ์กว่า 90% พบว่าเถาองุ่นจะเริ่มป่วยจากสภาพอากาศฝนตกและสภาวะที่มีความชื้นสูง และคุณต้องเตรียมพร้อมรับมือกับปัญหานี้
ก่อนปลูก ควรจุ่มราก Korinka ลงในส่วนผสมปุ๋ยคอกและดินเหนียวก่อน เพื่อให้รากหยั่งรากได้เร็วขึ้น











