- ลักษณะและลักษณะของแมลง
- วงจรชีวิต
- มันจะทำอันตรายอะไรได้บ้าง?
- พันธุ์ต้านทานศัตรูพืช
- ฟรูโมอาซา อัลเบ
- เพื่อรำลึกถึงเนกรูล
- ธันวาคม
- มอลโดวา
- มีผลมาก
- วันครบรอบเครน
- อาการติดเชื้อ
- วิธีการควบคุม
- กับดัก
- การเผาไหม้ของรังไข่และยอดที่ได้รับผลกระทบ
- วิธีการทางเคมี
- อัคทารา
- คาร์โบฟอส
- แอคเทลลิค
- การลงจอด
- บินอมและอลาตาร์
- อัลฟาซิน
- ฟาสตัค
- ไอแวนโฮ
- อินทาเวียร์
- สารกำจัดแมลงชีวภาพ
- การเยียวยาพื้นบ้าน
- ทิงเจอร์ผงยาสูบ
- ยาต้มจากวอร์มวูดและเซแลนดีน
- ยาต้มจากยอดมันฝรั่งและมะเขือเทศ
- ข้อกำหนดและเงื่อนไขในการประมวลผล
- มาตรการป้องกัน
- พันธุ์ที่เสี่ยงต่อการสูญพันธุ์โดยเฉพาะ
- ปิโนต์นัวร์
- รีสลิง
- มัสกัต
- อลิโกเต้
ชาวสวนจำนวนมากสนใจวิธีการควบคุมแมลงเม่าองุ่น ปัจจุบันมีหลายวิธีในการกำจัดศัตรูพืชอันตรายนี้ สารเคมีหรือสารชีวภาพสามารถนำมาใช้เพื่อให้ได้ผลดี ในกรณีง่ายๆ การเยียวยาพื้นบ้านที่มีประสิทธิภาพก็เพียงพอแล้ว การยึดมั่นในแนวทางปฏิบัติทางการเกษตรที่เหมาะสมก็เป็นสิ่งสำคัญเช่นกัน
ลักษณะและลักษณะของแมลง
ผีเสื้อกลางคืนเกรปเบอร์รี่เป็นผีเสื้อชนิดหนึ่ง ตัวเต็มวัยมีความยาว 6-8 มิลลิเมตร ปีกกว้าง 11-13 มิลลิเมตร ทั้งตัวผู้และตัวเมียมีปีกคล้าย ๆ กัน ปกคลุมด้วยลวดลายโมเสก
ปีกคู่แรกมีสีน้ำตาลโดดเด่น มีจุดสีต่างๆ เช่น สีเทา สีดำ และสีน้ำตาล ปีกคู่ที่สองมีสีเทาและมีขอบ เมื่อพัก ปีกจะตั้งตรงเหนือส่วนท้องเป็นรูประฆัง
วงจรชีวิต
ลูกกลิ้งใบองุ่นผลิต 3 รุ่นต่อปี:
- ระยะแรกเกิดขึ้นในช่วงที่ดอกตูมแตก ระยะบินในฤดูใบไม้ผลิกินเวลานานกว่า 20 วัน หลังจากเริ่มบินได้ 10 วัน แมลงจะวางไข่บนต้นองุ่น ระยะนี้มักเกิดขึ้นพร้อมกับการสร้างช่อดอก หลังจาก 6-12 วัน หนอนผีเสื้อจะเกิดและกินดอกตูม ตัวอ่อนแต่ละตัวสามารถกินดอกตูมได้มากถึง 60 ดอกต่อวัน ระยะการเจริญเติบโตของหนอนผีเสื้อจะสิ้นสุดลงเมื่อสิ้นสุดระยะออกดอก ซึ่งเกิดขึ้นในช่วงครึ่งแรกของเดือนมิถุนายน จากนั้นหนอนผีเสื้อจะเปลี่ยนเป็นดักแด้ ระยะนี้กินเวลาประมาณ 10 วัน
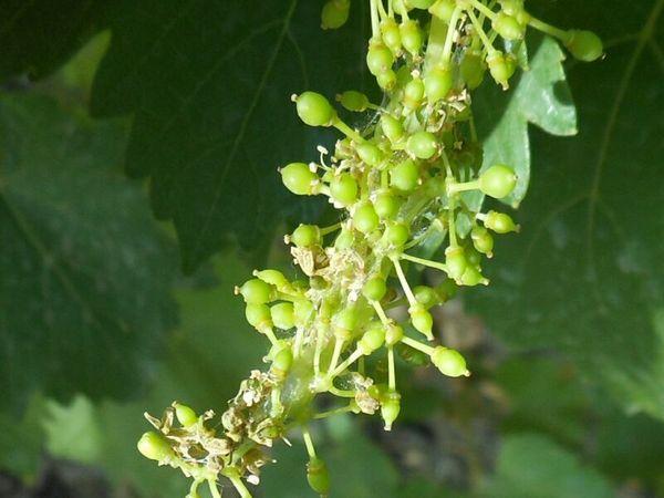
- ประการที่สอง ในระยะนี้ ผีเสื้อกลางคืนตัวใหม่จะออกมาจากดักแด้ หลังจากนั้นสองวันพวกมันก็จะวางไข่ หลังจากนั้นอีก 10 วัน หนอนผีเสื้อก็จะออกมาจากไข่เหล่านี้ ซึ่งเกิดขึ้นในช่วงระยะถั่วลันเตาและระยะการเจริญเติบโตของผลเบอร์รี หนอนผีเสื้อจะกินผลสีเขียวจนเกิดรูกลมๆ ความเสียหายสามารถมองเห็นได้ด้วยตาเปล่า ผลที่ได้รับผลกระทบจะเหี่ยวย่นและมีสีน้ำตาลหรือสีน้ำเงิน เบอร์รีเหล่านี้มักมีเชื้อราสีเทาหรือการติดเชื้อราชนิดอื่นๆ
- ประการที่สาม ผีเสื้อจะออกลูกในช่วงครึ่งหลังของเดือนกรกฎาคมหรือต้นเดือนสิงหาคม ในระยะนี้ผีเสื้อพันธุ์แรกๆ กำลังสุกงอมแล้ว และจะสิ้นสุดการดักแด้ในเดือนตุลาคม หนอนผีเสื้อส่วนใหญ่ไม่มีเวลาเข้าดักแด้ จึงต้องเก็บจากพุ่มไม้ในช่วงเก็บเกี่ยว

มันจะทำอันตรายอะไรได้บ้าง?
ศัตรูพืชทำลายตาดอกและผล ส่งผลให้ผลผลิตลดลง 30-40% คุณภาพของผลไม้เสื่อมลงอย่างมาก
ใยแมงมุมสามารถปกคลุมดอกและผลองุ่นด้วยใยแมงมุม ซึ่งขัดขวางการเจริญเติบโตตามปกติของอวัยวะสืบพันธุ์ นอกจากนี้ รังใยแมงมุมที่หนาแน่นยังช่วยปกป้องหนอนผีเสื้อ ซึ่งจะมากินเนื้อผลองุ่น ส่งผลให้ผลองุ่นเริ่มเน่าเสีย
พันธุ์ต้านทานศัตรูพืช
เพลี้ยกระโดดใบองุ่นมักโจมตีองุ่นพันธุ์ที่มีน้ำมันหอมระเหยในปริมาณมาก อย่างไรก็ตาม ปรสิตเหล่านี้มีโอกาสติดเชื้อในองุ่นพันธุ์มอลโดวาน้อยกว่า
ฟรูโมอาซา อัลเบ
พันธุ์นี้มีภูมิคุ้มกันที่ดีเยี่ยมต่อศัตรูพืชหลักๆ ขององุ่น องุ่นมีพุ่มขนาดกลางและช่อขนาดใหญ่ น้ำหนักมากถึง 400 กรัม
เพื่อรำลึกถึงเนกรูล
องุ่นพันธุ์ผสมนี้มีภูมิคุ้มกันที่ดีเยี่ยมและแทบไม่มีโรคใบม้วน องุ่นมีลักษณะเด่นคือเนื้อแน่น

ธันวาคม
พืชชนิดนี้มีช่วงการสุกในช่วงกลางฤดูและมีความทนทานต่อแมลงศัตรูพืชหลักๆ
มอลโดวา
พันธุ์นี้ค่อนข้างแข็งแรง โดดเด่นด้วยพุ่มที่แข็งแรง ช่อมีขนาดกลางถึงใหญ่ และมีน้ำหนักมากถึง 400 กรัม ช่อมีรูปทรงกรวย
มีผลมาก
เหล่านี้เป็นไม้พุ่มขนาดกลาง มีช่อขนาดใหญ่ หนักได้ถึง 400 กรัม ผลมีขนาดใหญ่และมีสีเหลืองอมเขียว
วันครบรอบเครน
พันธุ์นี้มีลักษณะเด่นคือเป็นพุ่มขนาดกลาง ช่อดอกมีขนาดใหญ่และโครงสร้างหลวม ผลกลมและมีสีชมพูเข้ม

อาการติดเชื้อ
สามารถตรวจพบปรสิตได้จากใยที่พันกันเป็นพวงและกิ่งก้านขององุ่น หนอนผีเสื้อยังกัดกินรังไข่ ทำให้ผลองุ่นเขียวและผลสุกเสียหาย ผลผลิตจากปรสิตที่ย่อยสลายส่งผลเสียต่อสุขภาพขององุ่น
วิธีการควบคุม
เมื่อเกิดใยแมงมุมบนต้นพืช จำเป็นต้องมีมาตรการป้องกันหลังจากแมลงม้วนใบรุ่นใหม่แต่ละรุ่นโผล่ออกมา มีวิธีการหลากหลายในการกำจัดศัตรูพืช ซึ่งรวมถึงการใช้กับดัก การเกษตรกรรม สารเคมีและสารชีวภาพ ในกรณีง่ายๆ การเยียวยาพื้นบ้านก็เพียงพอแล้ว
กับดัก
กับดักชนิดพิเศษช่วยกำจัดแมลงม้วนใบได้ โดยตัดขวดพลาสติกแล้วแขวนไว้ที่ระดับความสูงของต้นองุ่นหรือระหว่างพุ่ม เติมไวน์ที่ทำจากกากองุ่นลงในกับดัก สามารถเติมน้ำตาลและน้ำส้มสายชูเล็กน้อยลงในส่วนผสมได้
ในช่วงฤดูร้อน ควรตรวจสอบกับดักเป็นประจำ โดยควรทำตั้งแต่เช้าตรู่ จำนวนผีเสื้อกลางคืนที่ตายขึ้นอยู่กับสภาพอากาศ มักใช้กับดักแบบเบา อย่างไรก็ตาม วิธีนี้เหมาะที่สุดสำหรับการจับผีเสื้อกลางคืนตัวผู้ ซึ่งไม่วางไข่ จึงสร้างความเสียหายต่อต้นองุ่นน้อยกว่า
การเผาไหม้ของรังไข่และยอดที่ได้รับผลกระทบ
เพื่อควบคุมศัตรูพืชได้อย่างมีประสิทธิภาพ จำเป็นต้องตัดกิ่งและผลที่เสียหายออกจากพุ่มไม้ โดยควรทำลายทันที ผู้เชี่ยวชาญแนะนำให้เผาเศษซากพืชที่ได้รับผลกระทบนอกพื้นที่

วิธีการทางเคมี
เพื่อควบคุมโรคใบไหม้ จำเป็นต้องมีมาตรการพิเศษ ซึ่งรวมถึงการปฏิบัติทางการเกษตร การบำบัดทางเคมีอย่างเป็นระบบ และการใช้สารชีวภัณฑ์กำจัดแมลง
วิธีที่ดีที่สุดคือการใช้วิธีการฉีดพ่นตามกิจกรรมของผีเสื้อ การฉีดพ่นครั้งแรกจะทำเมื่อหนอนผีเสื้อเริ่มบิน ซึ่งจะเกิดขึ้น 18-20 วันหลังจากผีเสื้อเริ่มบิน ส่วนการฉีดพ่นครั้งที่สองจะทำหลังจากนั้น 7-10 วัน ส่วนการฉีดพ่นครั้งสุดท้ายควรทำเมื่อหนอนผีเสื้อรุ่นที่สามเริ่มบิน
อย่างไรก็ตาม ชาวสวนบางคนไม่สามารถตรวจสอบแปลงปลูกของตนได้ทุกวัน ในกรณีนี้ จะมีการใช้ยาฆ่าแมลงอย่างเป็นระบบ ขึ้นอยู่กับระยะการเจริญเติบโตของต้นองุ่น
การดำเนินการดังกล่าวจะดำเนินการตามขั้นตอนต่อไปนี้:
- ตามโคนสีเขียว;
- เมื่อมีใบเกิดขึ้น 5-7 ใบ;
- 10 วันก่อนดอกไม้จะบาน
ปัจจุบันผู้ผลิตนำเสนอผลิตภัณฑ์หลากหลายชนิดที่ใช้ควบคุมแมลงเม่าองุ่น ซึ่งช่วยให้ชาวสวนทุกคนสามารถค้นหาตัวเลือกที่ดีที่สุดได้
อัคทารา
ยาฆ่าแมลงชนิดนี้ออกฤทธิ์ได้หลากหลาย และใช้กำจัดแมลงม้วนใบ สำหรับการกำจัดแมลงศัตรูพืช ให้เตรียมสารละลาย โดยผสมสารละลาย 8 มิลลิกรัม ลงในน้ำ 10 ลิตร

คาร์โบฟอส
ยาฆ่าแมลงชนิดนี้ยังใช้งานได้หลากหลาย เพื่อให้ได้สารละลายที่มีประโยชน์ ให้ผสม 1 มิลลิกรัม ต่อน้ำ 1 ลิตร ในกรณีพิเศษ สามารถเพิ่มปริมาณยาฆ่าแมลงเป็น 2 มิลลิกรัมได้
แอคเทลลิค
นี่คือสารกำจัดไรที่ออกฤทธิ์ผ่านลำไส้และการสัมผัส ใช้ผลิตภัณฑ์ 1 มิลลิลิตร ต่อน้ำ 1 ลิตร
การลงจอด
สารนี้ออกฤทธิ์ได้หลากหลาย วิธีใช้สารละลายสำหรับบำบัดพืช ผสมสาร 1 มิลลิลิตรกับน้ำ 1 ลิตร เพื่อเตรียมสาร
บินอมและอลาตาร์
ยาฆ่าแมลงเหล่านี้เป็นยาฆ่าแมลงอเนกประสงค์ ในการทำสารละลายให้ได้ผล ให้เติมผลิตภัณฑ์ 3-5 มิลลิกรัมลงในน้ำ 10 ลิตร
อัลฟาซิน
เป็นสารไพรีทรอยด์สังเคราะห์ที่ช่วยควบคุมตัวอ่อนที่มีอยู่ในใบองุ่น

ฟาสตัค
ไพรีทรอยด์สังเคราะห์อีกชนิดหนึ่ง ผลิตภัณฑ์นี้ถือว่ามีพิษร้ายแรง และมักใช้เมื่อการรักษาอื่นๆ ไม่ได้ผล
ไอแวนโฮ
ต้องใช้ไพรีทรอยด์นี้ตามคำแนะนำอย่างเคร่งครัด อุณหภูมิอากาศไม่ควรเกิน 23 องศาเซลเซียส มิฉะนั้นผลิตภัณฑ์จะไม่มีประสิทธิภาพ
อินทาเวียร์
นี่เป็นสารเคมียอดนิยมที่สามารถใช้ฆ่าหนอนม้วนใบได้ สำหรับองุ่น ให้ผสมยาเม็ดหนึ่งเม็ดกับน้ำ 10 ลิตร
สารกำจัดแมลงชีวภาพ
สารกำจัดศัตรูพืชเคมีเป็นอันตรายต่อมนุษย์ พวกมันสามารถสะสมในผลเบอร์รี่และก่อให้เกิดสารพิษ อย่างไรก็ตาม สารกำจัดศัตรูพืชชีวภาพที่เป็นอันตรายน้อยกว่าสามารถนำมาใช้เพื่อควบคุมโรคใบม้วนได้ ซึ่งรวมถึง Bitoxibacillin หรือ Lepiodocid การบำบัดจะทำซ้ำทุกสิบวันจนกว่าโรคใบม้วนจะถูกกำจัดจนหมด

การเยียวยาพื้นบ้าน
ในกรณีง่ายๆ ของความเสียหายจากพุ่มไม้ สามารถใช้วิธีการรักษาแบบพื้นบ้านได้ ปัจจุบันมีวิธีการรักษามากมายที่เป็นที่รู้จักและสามารถให้ผลลัพธ์ที่ดีได้
ทิงเจอร์ผงยาสูบ
ในการเตรียมส่วนผสม ให้ใส่ผงยาสูบ 500 กรัมลงในถังน้ำร้อน แช่ส่วนผสมไว้สองวัน กรองผ่านผ้าขาวบาง แล้วบีบเอาส่วนเกินออก ผสมส่วนผสมกับน้ำในสัดส่วนที่เท่ากัน ก่อนใช้ ให้เติมสบู่บด 40 กรัมลงในส่วนผสม
การแช่นี้เป็นพิษต่อมนุษย์ ดังนั้นควรใช้ความระมัดระวังในการบำบัดองุ่น
ยาต้มจากวอร์มวูดและเซแลนดีน
ในการทำส่วนผสมนี้ ให้ใส่สมุนไพรแห้ง 700 กรัม หรือสมุนไพรสดครึ่งถัง ลงในน้ำ 10 ลิตร หรือใช้สมุนไพรเซแลนดีนเล็กน้อยก็ได้ แช่ส่วนผสมไว้สองวัน จากนั้นเคี่ยวไฟอ่อนประมาณครึ่งชั่วโมง จนได้ปริมาตร 10 ลิตร ก่อนนำไปแช่ ให้ผสมกับน้ำในอัตราส่วนที่เท่ากัน

ยาต้มจากยอดมันฝรั่งและมะเขือเทศ
นำรากมะเขือเทศสับ 4 กิโลกรัมและยอดมะเขือเทศสดสีเขียว มาราดน้ำหนึ่งถัง แช่ทิ้งไว้ 3-4 ชั่วโมง เคี่ยวไฟอ่อนประมาณครึ่งชั่วโมง เมื่อเย็นตัวลงแล้ว ให้กรองส่วนผสมและบีบเอายอดมะเขือเทศออกให้หมด
สามารถเก็บผลิตภัณฑ์ไว้ในภาชนะปิดสนิทได้นานถึง 1 ปี ก่อนใช้ให้ผสมกับน้ำในปริมาณที่เท่ากัน เติมสบู่ 40 กรัม ต่อผลิตภัณฑ์ 10 ลิตร การแช่ยอดมันฝรั่งก็มีประสิทธิภาพสูงเช่นกัน วิธีทำคือใส่ยอดมันฝรั่งสด 4 กิโลกรัม ลงในน้ำอุ่น 1 ถัง แช่ทิ้งไว้ 3-4 ชั่วโมง กรองและเติมสบู่ 40 กรัม
ข้อกำหนดและเงื่อนไขในการประมวลผล
เพื่อให้ได้ผลลัพธ์ที่ดีจากการใช้ผลิตภัณฑ์ สิ่งสำคัญคือต้องปฏิบัติตามตารางการรักษาอย่างเคร่งครัด อย่างไรก็ตาม การเจริญเติบโตของแมลงเม่าอาจเกิดขึ้นได้ในเวลาที่แตกต่างกัน ดังนั้นจึงไม่มีตารางการรักษาที่แน่นอน
ขอแนะนำให้ชาวสวนพิจารณาถึงระยะการเจริญเติบโตของพืช การฉีดพ่นป้องกันครั้งแรกจะดำเนินการเมื่อดอกเริ่มบาน

กับดักฟีโรโมนยังใช้เพื่อกำหนดช่วงเวลาของการใช้ยาฆ่าแมลง อุปกรณ์เหล่านี้ดึงดูดตัวผู้ จำนวนตัวของผีเสื้อสามารถนำมาใช้เพื่อกำหนดจุดเริ่มต้นของการบินของผีเสื้อได้
ผู้เชี่ยวชาญแนะนำให้ตรวจสอบกับดักทุกเช้าและนับจำนวนตัวที่จับได้ หากจับผีเสื้อได้มากกว่า 5-8 ตัวภายในสามวัน วันที่สามจะถือเป็นจุดเริ่มต้นของการบินอย่างต่อเนื่อง การบินครั้งใหญ่จะเกิดขึ้นหลังจาก 8-10 วัน
มาตรการป้องกัน
เพื่อป้องกันไม่ให้ใบม้วนปรากฏขึ้นบนเถาองุ่น จำเป็นต้องปฏิบัติตามแนวทางปฏิบัติทางการเกษตรที่ถูกต้อง เราขอแนะนำดังต่อไปนี้:
- มัดยอด;
- ทำการตัดแต่งกิ่งให้บางลง;
- ทำการเด็ดยอดข้างออก;
- ทำลายวัชพืช;
- ถอดแปรงที่ได้รับผลกระทบออก
พันธุ์ที่เสี่ยงต่อการสูญพันธุ์โดยเฉพาะ
โรคใบม้วนองุ่นมีผลต่อพันธุ์ที่มีลักษณะเป็นพวงหนาแน่นและมีปริมาณน้ำมันหอมระเหยสูง พืชเหล่านี้ต้องการการดูแลอย่างระมัดระวังเป็นพิเศษ

ปิโนต์นัวร์
องุ่นพันธุ์นี้เหมาะสำหรับทำไวน์ มีลักษณะเด่นคือสุกในช่วงกลางฤดู มีต้นกำเนิดจากประเทศฝรั่งเศส
รีสลิง
องุ่นพันธุ์เยอรมันนี้ขึ้นชื่อเรื่องผลองุ่นคุณภาพสูง เป็นองุ่นที่นิยมใช้ทำไวน์ มีช่วงสุกกลางฤดู
มัสกัต
องุ่นพันธุ์ตะวันออกนี้โดดเด่นด้วยคุณภาพระดับสูง โดดเด่นด้วยกลิ่นหอมมัสกัตและระยะเวลาการสุกปานกลาง
อลิโกเต้
องุ่นพันธุ์ฝรั่งเศสนี้ให้ไวน์คุณภาพสูงสำหรับดื่มคู่กับอาหาร ผลเบอร์รี่ยังใช้ทำแชมเปญได้ด้วย
หนอนม้วนใบองุ่นเป็นศัตรูพืชอันตรายที่สามารถสร้างความเสียหายร้ายแรงต่อต้นองุ่นได้ มีวิธีการรักษาพื้นบ้านที่มีประสิทธิภาพในการต่อสู้กับปรสิตชนิดนี้ได้ ในกรณีที่รุนแรงอาจจำเป็นต้องใช้สารเคมี











