- อะไรเป็นตัวกำหนดระยะเวลาการเก็บเกี่ยวและผลผลิต?
- ภาพรวมของปัญหาที่อาจเกิดขึ้น
- มันไม่ออกดอกและไม่เกิดผล
- มันออกดอกแต่ไม่ติดผล
- เงื่อนไขในการได้รับผลผลิตที่ดี
- ความพอดีที่ถูกต้อง
- การก่อตั้งและการกำหนดมาตรฐาน
- การป้องกันโรค
- การตัดแต่งกิ่งในฤดูใบไม้ผลิ
- การรักษาสภาพอุณหภูมิ
- ปริมาณปุ๋ยที่ถูกต้อง
- การผสมเกสร
- การปฏิบัติตามระบบการให้น้ำ
- วิธีการเลือกพันธุ์ให้เหมาะสม
- เคล็ดลับจากนักจัดสวนผู้มีประสบการณ์
เพื่อระบุสาเหตุที่ต้นองุ่นไม่ออกดอก สิ่งสำคัญคือต้องเข้าใจสาเหตุที่เป็นไปได้ มีสองกรณีที่อาจเกิดขึ้นได้ คือ ต้นองุ่นไม่ออกดอกและไม่ออกดอก หรือ องุ่นออกดอกแต่ไม่ออกดอก องุ่นอาจไม่ออกดอกเนื่องจากใส่ปุ๋ยไม่เพียงพอหรือปลูกไม่ถูกต้อง นอกจากนี้ องุ่นอาจไม่ออกดอกเนื่องจากรดน้ำไม่เพียงพอ หรืออาจรดน้ำมากเกินไป
อะไรเป็นตัวกำหนดระยะเวลาการเก็บเกี่ยวและผลผลิต?
การเจริญเติบโตและพัฒนาการของพืชผล ช่วงเวลาการเก็บเกี่ยว ปริมาณ และท้ายที่สุดคือการเก็บเกี่ยวองุ่นคุณภาพสูง ขึ้นอยู่กับการปลูกต้นกล้าอย่างเหมาะสม นอกจากนี้ยังขึ้นอยู่กับการใช้ปุ๋ยที่ถูกต้อง ช่วงเวลาที่เหมาะสมในการควบคุมโรคและแมลงศัตรูพืช การตัดแต่งกิ่งในฤดูใบไม้ผลิอย่างเหมาะสม และการคัดเลือกพันธุ์แมลงผสมเกสรสำหรับองุ่นแต่ละสายพันธุ์อย่างพิถีพิถัน
ภาพรวมของปัญหาที่อาจเกิดขึ้น
ยึดมั่นในเทคโนโลยีการเกษตรในการเพาะปลูกพืชอย่างเคร่งครัด แล้วคุณจะได้รับผลผลิตอันยอดเยี่ยม
มันไม่ออกดอกและไม่เกิดผล
องุ่นชอบความอบอุ่นและแสงที่ดี จึงชอบปลูกในที่ที่หันหน้าไปทางทิศใต้หรือทิศตะวันตกเฉียงใต้ หากองุ่นไม่ได้รับความอบอุ่นและแสงเพียงพอ องุ่นอาจไม่ออกดอก นอกจากนี้ องุ่นอาจไม่ออกดอกหากอากาศมีความชื้นสูงเกินไปเนื่องจากฝนตกหนัก
อีกสาเหตุหนึ่งคือการใส่ปุ๋ยมากเกินไป ทำให้เถาวัลย์มีกิ่งก้านและใบจำนวนมาก แต่ไม่มีตาดอก
คุณต้องตรวจสอบองุ่นอย่างระมัดระวังด้วย เพื่อพิจารณาว่าองุ่นถูกแช่แข็งในฤดูหนาวหรือไม่ หรือคนสวนไม่ได้ตัดตาที่หน่อที่ออกผลออกมาในระหว่างการตัดแต่งกิ่งเพื่อการเจริญเติบโตหรือไม่
มันออกดอกแต่ไม่ติดผล
หากดอกตูมบานแต่ไม่มีผล แสดงว่าพันธุ์นี้ต้องการแมลงผสมเกสร

เงื่อนไขในการได้รับผลผลิตที่ดี
คนสวนอาจทำผิดพลาดหลายประการที่ส่งผลให้การออกผลล่าช้า
ความพอดีที่ถูกต้อง
เมื่อซื้อคุณควรเลือกต้นกล้าที่แข็งแรงสมบูรณ์
หากคุณปลูกไม้พุ่มทางภาคเหนือ ต้นไม้จะเจริญเติบโต แต่จะไม่เกิดผล และจะไม่ได้รับแสงและความอบอุ่นเพียงพอต่อการออกผลตามปกติ
ไม้พุ่มไม่ชอบความชื้นมากเกินไป ดังนั้นคุณควรเลือกสถานที่ที่มีน้ำใต้ดินไม่เกิน 1.5 เมตร ไม่ควรปลูกองุ่นในพื้นที่หนองบึง
ควรขุดหลุมปลูกให้เหมาะสม โดยเว้นระยะห่างระหว่างหลุมให้เหมาะสมตามพันธุ์องุ่น สำหรับองุ่นที่โตช้า ระยะห่างระหว่างหลุมควรอยู่ที่ 1.5-3 เมตร สำหรับองุ่นขนาดกลาง ระยะห่างระหว่างหลุมควรอยู่ที่ 2-3 เมตร และสำหรับองุ่นสูง ระยะห่างระหว่างหลุมควรอยู่ที่อย่างน้อย 3 เมตร
ขุดหลุมลึก 40-80 ซม. เทน้ำทิ้งลงไปที่พื้น - หินบดเป็นชั้นหนา 15 ซม. จากนั้นใส่ปุ๋ยและดินอุดมสมบูรณ์เป็นชั้นหนา 10 ซม.

การก่อตั้งและการกำหนดมาตรฐาน
ควรคำนวณจำนวนตาที่ต้องการบนพุ่มไม้ เมื่อตัดแต่งกิ่ง ให้เหลือตาสำรองไว้เพื่อทดแทนกิ่งที่แข็งตัวในช่วงที่มีน้ำค้างแข็งในฤดูหนาวและในกรณีที่เกิดความเสียหายทางกลไก สำหรับพุ่มไม้อ่อน ให้เหลือตา 50 ตา หากเป็นพุ่มไม้อายุสามปีที่เป็นพันธุ์ผสมขนาดใหญ่มาก ให้เหลือตา 100 ตา
การป้องกันโรค
ศัตรูพืชและโรคพืชรบกวนการเจริญเติบโตและพัฒนาการของพืช องุ่นอาจถูกเพลี้ยอ่อนและไรเดอร์โจมตี ในกรณีนี้ พืชจะถูกฉีดพ่นด้วยยาฆ่าแมลงแบบดูดซึม โรคที่พบบ่อยที่สุดในองุ่นคือโรคราสีเทา และโรคราน้ำค้าง เชื้อราสีเทาตรวจพบได้จากคราบสีเทา ในขณะที่เชื้อราจะตรวจพบได้จากจุดที่มีน้ำมันเกาะบนใบพืช ดังนั้นจึงจำเป็นต้องตรวจสอบพืชและดำเนินการป้องกันเป็นประจำ Fitoverm เป็นผลิตภัณฑ์ที่ดีที่สุดสำหรับจุดประสงค์นี้ เนื่องจากเป็นสารชีวภาพและมีพิษต่ำ
การตัดแต่งกิ่งในฤดูใบไม้ผลิ
องุ่นอาจไม่ออกผลเนื่องจากการตัดแต่งกิ่งที่ไม่เหมาะสม
สำหรับพันธุ์ส่วนใหญ่ "ตาดอก" ซึ่งยอดอ่อนจะเติบโตอยู่ระหว่างตาดอกที่ 4 ถึง 8 อย่างไรก็ตาม สำหรับพันธุ์มัสกัตแอมเบอร์และทาลิสแมน "ตาดอก" จะเริ่มต้นที่ตาดอกที่ 8-10 หรือ 12-14 ดังนั้น การรู้ให้แน่ชัดจึงเป็นสิ่งสำคัญ วิธีการตัดแต่งองุ่น พันธุ์นี้ อย่างไรก็ตาม บางครั้งมือสมัครเล่นก็ตัดยอดออกของพันธุ์ทาลิสแมนเหลือเพียง 8-10 ตา ซึ่งทำให้ผลผลิตลดลง

นอกจากนี้เมื่อมัดเถาวัลย์ในแนวตั้งแทนที่จะเป็นแนวนอน จำนวนรังไข่จะลดลงอย่างมาก
การรักษาสภาพอุณหภูมิ
ที่นี่คุณจะต้องคำนึงถึงพันธุ์ที่คุณปลูกด้วย
หากเป็นพันธุ์ที่ออกดอกเร็วและมีตาดอกออกเร็ว อาจเกิดน้ำค้างแข็งซ้ำได้ ดังนั้นจำเป็นต้องตรวจสอบสภาพอากาศ รดน้ำต้นไม้ให้ชุ่มก่อนน้ำค้างแข็ง และคลุมด้วยฟิล์ม
อุณหภูมิที่เหมาะสมสำหรับการเจริญเติบโตและการติดผลองุ่นคือ 20-30 องศาเซลเซียส กุญแจสำคัญของการเจริญเติบโตที่ดีและการเก็บเกี่ยวองุ่นที่ยอดเยี่ยมคือผลรวมของอุณหภูมิที่ใช้งาน (CAT) หากอุณหภูมิอากาศไม่เพียงพอ อาจมีเทคนิคต่างๆ ให้เลือก
ผิวดินแห้งทำให้อุณหภูมิของดินสูงขึ้น ดังนั้นการระบายน้ำในแนวตั้งโดยใช้หินกรวดจึงเป็นสิ่งสำคัญ หากฝนตกหนัก คุณสามารถสร้างเพิงพักน้ำฝนเหนือพุ่มไม้ได้
หากองุ่นอยู่ใกล้กำแพงหรือรั้ว การทาองุ่นให้เป็นสีขาวราวกับหิมะจะช่วยเพิ่ม CAT ได้
หากอุณหภูมิอากาศและดินในพื้นที่ปลูกต่ำเกินไปอย่างต่อเนื่อง คุณสามารถเพิ่มอุณหภูมิดินได้โดยการใส่กรวดระบายน้ำลงในหลุมปลูกก่อน จากนั้นใส่เศษไม้ลงไป แล้วจึงใส่ดินที่อุดมสมบูรณ์ลงไป คุณยังสามารถวางแผ่นฟอยล์ไว้บนดินใต้ต้นองุ่นได้อีกด้วย

ปริมาณปุ๋ยที่ถูกต้อง
หากใส่ไนโตรเจนมากเกินไป เถาวัลย์จะเริ่มเจริญเติบโตเป็นมวลสีเขียว คือ ใบและยอดอ่อน ในขณะที่จำนวนตาดอกจะลดลงอย่างเห็นได้ชัด และจำนวนรังไข่ที่เกิดขึ้นก็จะยิ่งน้อยลงไปอีก นอกจากนี้ ความต้านทานต่อน้ำค้างแข็งและโรคพืชก็ลดลงด้วย จะเห็นได้ว่าต้นได้รับไนโตรเจนมากเกินไปจากการเจริญเติบโตอย่างรวดเร็วของกิ่งก้าน ส่งผลให้เถาวัลย์ไม่โตเต็มที่ก่อนน้ำค้างแข็ง การใส่ปุ๋ยอย่างถูกต้องจึงเป็นสิ่งสำคัญอย่างยิ่ง
การใส่ปุ๋ยครั้งแรกทำหลังจากเปิดฝาครอบออกแล้ว เติมไนโตรเจน 50 กรัม โพแทสเซียม 30 กรัม และฟอสฟอรัส 40 กรัม ใต้พุ่มไม้ หรืออาจใช้ปุ๋ยเชิงซ้อน เช่น ฟลอโรวิต หรือราสต์โวริน
ใส่ปุ๋ยครั้งที่สองก่อนที่ตาจะบาน ผสมปุ๋ยคอกหนึ่งถังกับน้ำสองถัง หมักทิ้งไว้ 10 วัน เติมซุปเปอร์ฟอสเฟต 60 กรัม และเกลือโพแทสเซียม 45 กรัม เทปุ๋ยหนึ่งถังใต้ต้นที่โตเต็มที่แต่ละต้น
ใส่ปุ๋ยให้ผลเบอร์รี่เมื่อผลมีขนาดประมาณเมล็ดถั่ว ผสมปุ๋ยคอกหนึ่งถังกับน้ำสี่ถัง
สำคัญ! การเสริมโพแทสเซียมมีประโยชน์อย่างมากต่อพุ่มไม้ เนื่องจากช่วยให้ต้นไม้แข็งแรงและทนต่อน้ำค้างแข็ง
ควรใส่ปุ๋ยให้ลึก 40-60 ซม. เนื่องจากเป็นจุดที่ระบบรากตั้งอยู่ ซึ่งหมายความว่าเมื่อใช้ปุ๋ยในปริมาณที่เหมาะสม ดอกและผลจะไม่ร่วงหล่น และผลจะสุกพร้อมกัน โดยมีลักษณะคล้ายคลึงกัน

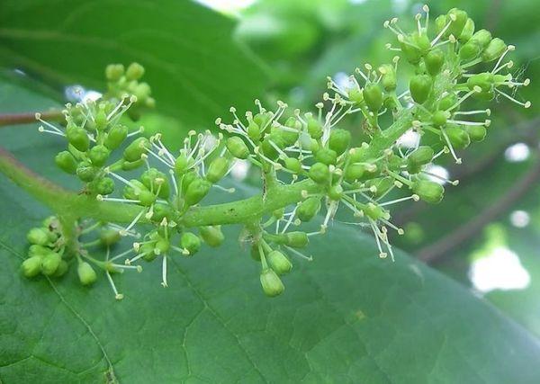
การผสมเกสร
เหตุผลหนึ่งที่ทำให้พุ่มไม้ไม่ผลิตผลเบอร์รี่คือพันธุ์นี้ผลิตเฉพาะดอกเพศเมีย ดังนั้น เพื่อการผสมเกสรจึงต้องปลูกพันธุ์อื่นไว้ใกล้ๆ กัน หากไม่ปลูกพันธุ์อื่นไว้ใกล้ๆ พันธุ์ผสมนี้ การผสมเกสรจะแทบไม่มี รังไข่จะก่อตัวน้อย และผลผลิตก็จะน้อย
ดังนั้นจึงจำเป็นต้องปลูกพันธุ์ไม้ที่มีความสูงและออกดอกพร้อมกันใกล้เคียงกันกับพันธุ์ที่ปลูกอีก 2-3 พันธุ์
นอกจากนี้ หากพันธุ์ที่กำหนดผลิตเฉพาะดอกตัวผู้เท่านั้น ก็จะไม่สามารถให้ผลผลิตที่ดีได้ เนื่องจากใช้เป็นเพียงต้นตอเท่านั้น
หากพันธุ์ที่ปลูกออกดอกพร้อมกัน จำเป็นต้องผสมเกสรเทียม เลือกวันที่อากาศครึ้มหรือเช้าตรู่ ผสมเกสร 2-3 ครั้งในช่วงออกดอก: ครั้งแรกเมื่อดอกตูมบาน จากนั้น 5-6 วันหลังจากนั้น และอีกครั้งเมื่อดอกบาน การปลูกองุ่นพันธุ์คิชมิชไว้ข้างๆ จะช่วยให้การผสมเกสรข้ามสายพันธุ์เป็นไปได้ดี
การปฏิบัติตามระบบการให้น้ำ
การรดน้ำเป็นสิ่งสำคัญอย่างยิ่งเมื่อองุ่นกำลังเจริญเติบโตเต็มที่และสุกเต็มที่ ความชื้นที่ไม่เพียงพอจะทำให้พวงองุ่นไม่เจริญเติบโตเต็มที่ ในขณะที่ความชื้นที่มากเกินไปจะทำให้องุ่นแตก

การรดน้ำขึ้นอยู่กับสภาพอากาศ หากอากาศร้อนและแห้งแล้ง ควรเพิ่มการรดน้ำ แต่หากฝนตกหนักต่อเนื่อง ควรลดปริมาณการรดน้ำลง สิ่งสำคัญคือต้องหลีกเลี่ยงการเปลี่ยนแปลงระดับความชื้นอย่างฉับพลัน
วิธีการเลือกพันธุ์ให้เหมาะสม
เมื่อซื้อต้นกล้า ควรพิจารณาถึงความทนทานต่อน้ำค้างแข็ง คุณอาจต้องคลุมต้นไม้ในช่วงฤดูหนาว และนำต้นไม้ออกในช่วงต้นฤดูใบไม้ผลิ หากคลุมไม่ดี กิ่งที่ออกผลจะตายเป็นอันดับแรก
ควรเลือกพันธุ์ที่ต้านทานโรคและแมลงศัตรูพืชได้ดี ได้แก่ อากัต ดอนสคอย, ดเวียตสกี ซินี, วอสตอร์ก, มาร์เกตต์, โมนาร์ช (ไม่ต้านทานโรคราแป้ง), ทิมูร์, ฮาโรลด์, โรชฟอร์ต (แม้จะไวต่อโรคไฟลลอกเซรา), เฮลิออส, อะทอส (ไวต่อโรคราสีเทา), ดูบอฟสกี โรซอฟสกี, กัลเบนา นู (ไม่ต้านทานโรคราแป้ง), ไทเยชนี และอาลิโกเต (ไวต่อโรคใบม้วนองุ่น)
เคล็ดลับจากนักจัดสวนผู้มีประสบการณ์
หากคุณสังเกตเห็นว่าพุ่มไม้แข็งตัวในฤดูใบไม้ผลิ คุณต้องทำสิ่งต่อไปนี้:
- เลือกกิ่งที่มีอายุหนึ่งปี แล้วตัดตาที่ออกผลตามยาว ตาที่แข็งตัวจะมีสีน้ำตาล ส่วนตาที่แข็งแรงจะมีสีเขียว
- จากนั้นก็ตัดเปลือกออก ถ้าไม้ถูกแช่แข็ง มันก็จะกลายเป็นสีน้ำตาลด้วย
เพื่อช่วยให้พุ่มไม้ฟื้นตัว ควรตัดกิ่งที่แข็งออกในฤดูใบไม้ผลิ ซึ่งจะช่วยกระตุ้นให้เกิดตาและยอดใหม่ขึ้นมาแทนที่











