- รายละเอียดและคุณสมบัติ
- ราก
- ลำต้น
- การหลบหนี
- ดวงตา
- ออกจาก
- ดอกไม้
- ผลไม้
- ลักษณะเด่นของพันธุ์
- การสุกงอมและการให้ผลผลิต
- ความต้านทานโรค
- การประยุกต์ใช้ผลเบอร์รี่
- ข้อดีข้อเสียของความหลากหลาย
- วิธีการปลูก
- การเลือกสถานที่
- คำแนะนำในการเลือกกำหนดเวลา
- การเตรียมพื้นที่
- วิธีการเลือกและเตรียมวัสดุปลูก
- แผนผังการปลูก
- คำแนะนำในการดูแล
- โหมดการรดน้ำ
- น้ำสลัด
- การคลุมดิน
- การรักษาเชิงป้องกัน
- การตัดแต่งกิ่งที่ถูกสุขลักษณะ
- การก่อตัวของมงกุฎ
- การเตรียมตัวรับมือฤดูหนาว
- ถุงเท้ายาว
- การป้องกันจากสัตว์ฟันแทะ
- วิธีป้องกันตัวต่อและนก
- ความยากลำบากในการเจริญเติบโต
- การเก็บเกี่ยวและการเก็บรักษา
- เคล็ดลับจากนักจัดสวนผู้มีประสบการณ์
องุ่นพันธุ์โบกาตยานอฟสกีเป็นที่ต้องการอย่างมากในหมู่ชาวสวนเนื่องจากผลมีขนาดใหญ่ ซึ่งอาจมีน้ำหนักได้ถึง 20 กรัม องุ่นพันธุ์ผสมนี้เป็นลูกผสมระหว่างองุ่นพันธุ์คิชมิชเรเดียนท์และทาลิสแมน องุ่นโบกาตยานอฟสกีผสมผสานคุณประโยชน์ขององุ่นทั้งสองสายพันธุ์เข้าด้วยกัน หากดูแลอย่างเหมาะสม องุ่นเพียงต้นเดียวสามารถให้ผลผลิตได้ 15-20 กิโลกรัมต่อฤดูกาล
รายละเอียดและคุณสมบัติ
Bogatyanovsky ได้รับการเพาะพันธุ์โดย Viktor Nikolaevich Kraynov ซึ่งเก็บวิธีการผลิตพันธุ์นี้เป็นความลับมาเป็นเวลานาน
องุ่นพันธุ์นี้มีข้อดีหลายประการ:
- ขนาดผล;
- จำนวนผลเบอร์รี่ในพวงและน้ำหนักรวม
- เพิ่มความต้านทานต่อน้ำค้างแข็ง
- ขนาดพุ่มไม้;
- ลดความเสี่ยงต่อการเกิดโรค;
- ระยะเวลาการสุกขององุ่นปานกลาง;
ข้อดีเหล่านี้ทำให้องุ่นพันธุ์นี้เป็นที่นิยมในหมู่นักทำสวน ผู้ผลิตไวน์ และผู้ขาย องุ่นสามารถเก็บไว้ได้นานโดยไม่เน่าเสีย มีรูปลักษณ์ที่สวยงามน่ารับประทานและรสชาติที่น่าพึงพอใจ

ราก
ระบบรากของพันธุ์นี้ประกอบด้วยรากน้ำค้างและรากส้นเท้า รากเหล่านี้สามารถเจริญเติบโตได้ลึกถึง 10 เมตร ความลึกนี้จะเกิดขึ้นได้ก็ต่อเมื่อพืชขาดความชื้นอย่างต่อเนื่อง รากน้ำค้างจะอยู่ใกล้กับผิวดินที่ความลึก 40 เซนติเมตร เมื่อรดน้ำอย่างเพียงพอและสม่ำเสมอ เหง้าจะเจริญเติบโตออกด้านนอกแทนที่จะเข้าด้านใน
ลำต้น
ลำต้นขององุ่นพันธุ์นี้แทบจะแยกไม่ออกจากองุ่นพันธุ์อื่น ความแตกต่างเพียงอย่างเดียวคือความยาวของกิ่ง ซึ่งเกิดจากการไม่ตัดแต่งกิ่งอย่างทันท่วงที หากรดน้ำอย่างเพียงพอ เถาองุ่นสามารถยาวได้ถึง 40 เมตร
การหลบหนี
ต้นองุ่นผลิตยอดอ่อนและยอดอ่อนรายปี ซึ่งยอดอ่อนเหล่านี้ใช้สำหรับขยายพันธุ์องุ่น องุ่นมีจำนวนมาก สามารถตัดยอดอ่อนรายปีได้มากกว่า 20 ต้นในฤดูกาลเดียว

ดวงตา
ตาจะปรากฏเฉพาะบนยอดที่ออกผลเท่านั้น ใบและดอกจะงอกออกมาจากยอดเหล่านี้ ซึ่งต่อมาจะกลายเป็นพวงองุ่น เนื่องจากผลองุ่นพันธุ์นี้มีน้ำหนักมาก จึงแนะนำให้เหลือตาไว้ 15-20 ตาบนเถาองุ่นเดียว ในสภาพอากาศหนาวเย็น แนะนำให้มีตา 7-10 ตาต่อกิ่ง หากไม่ตัดตาออก กิ่งอาจหย่อนลงเนื่องจากพวงองุ่นจำนวนมาก ในสภาวะเช่นนี้ ผลเบอร์รี่จะสุกและสูญเสียรสชาติ
ออกจาก
ขอบใบมี 3-5 แฉก มีรอยหยักเป็นลักษณะเฉพาะตามขอบ สีของใบมีตั้งแต่เขียวอ่อนไปจนถึงเขียวเข้ม

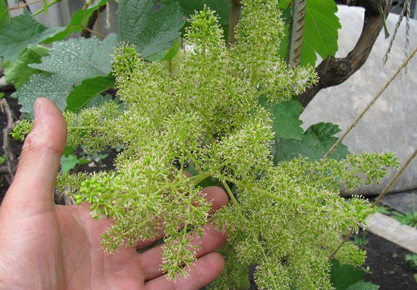
ดอกไม้
ดอกของพันธุ์นี้มีขนาดเล็กและสีเขียว ออกดอกตั้งแต่ต้นเดือนพฤษภาคมถึงครึ่งหลังของเดือนมิถุนายน และจะบานสะพรั่งหลังจากนั้นสองสัปดาห์
สำคัญ! เมื่อถึงปลายฤดูออกดอก ช่อผลเบอร์รีจะเริ่มเจริญเติบโตจากดอก
ผลไม้
องุ่นพันธุ์ Bogatyanovsky มีเนื้อนุ่มฉ่ำน้ำและมีสีเหลืองอ่อน ผลองุ่นพันธุ์นี้สามารถมีน้ำหนักได้ถึง 25 กรัม โดยมีน้ำหนักทั้งพวง 1-2 กิโลกรัม รสชาติขององุ่นพันธุ์นี้มีความหวานปานกลางและมีรสเปรี้ยวเป็นเอกลักษณ์ ผลองุ่นมีเมล็ดสองเมล็ด ซึ่งไม่ได้ถูกยึดด้วยเนื้อและหลุดออกได้ง่ายเมื่อตัด เปลือกผลแน่น
ลักษณะเด่นของพันธุ์
องุ่นโบกาตยานอฟสกีเป็นองุ่นสำหรับรับประทานผลสด มีช่วงการสุกตั้งแต่ต้นฤดูถึงกลางฤดู ฤดูกาลปลูกมีระยะเวลา 120 วัน องุ่นพันธุ์นี้ไม่ต้องการการดูแลมากและสามารถปลูกได้แม้ในดินทรายหรือดินเหนียว
องุ่นใช้ในการผลิตไวน์ขาวแบบแห้ง กึ่งหวาน และแบบของหวาน

เบอร์รี่อุดมไปด้วยสารที่มีประโยชน์:
- วิตามินซี;
- วิตามินบี;
- ฟอสฟอรัส;
- โพแทสเซียม.
โดยเฉลี่ยแล้วองุ่นต้องการอุณหภูมิที่สูงกว่า 10-12°C เพื่อให้เจริญเติบโตได้ดี และจะเริ่มออกดอกที่อุณหภูมิ 20°C เพื่อให้ผลมีสีสันสวยงาม องุ่นต้องการแสงแดดที่สม่ำเสมอและอุณหภูมิ 23-25°C โดยเฉลี่ยแล้วสามารถเก็บเกี่ยวองุ่นได้ 35-40 พวงในฤดูกาลเดียว เนื่องจากผลองุ่นจะมีน้ำหนัก 1-2 กิโลกรัม จึงต้องมีการรองรับเถาองุ่นให้แข็งแรงเพื่อรองรับน้ำหนักในขณะที่ผลสุก
การสุกงอมและการให้ผลผลิต
หากมีตาบนกิ่งน้อย ผลผลิตจะอยู่ที่ 10-15 กิโลกรัม ผลสุกเต็มที่ปลายเดือนกรกฎาคม
ความต้านทานโรค
พันธุ์ Bogatyanovsky ช่วยเพิ่มความต้านทานต่อโรคต่อไปนี้:
- โรคราน้ำค้าง – 3 คะแนน;
- โรคเน่าสีเทา – 4.5 คะแนน
- ออยเดียม – 3.5 คะแนน

การประยุกต์ใช้ผลเบอร์รี่
องุ่นพันธุ์ Bogatyanovsky ถูกนำมาใช้ในการผลิตไวน์ขาวแบบแห้ง กึ่งหวาน และของหวาน รวมถึงใช้ในการปรุงอาหาร (อาหารและขนมหวาน) องุ่นพันธุ์นี้ส่วนใหญ่นิยมนำมาจำหน่ายเพื่อการบริโภค
ข้อดีข้อเสียของความหลากหลาย
ข้อดีขององุ่นพันธุ์ Bogatyanovsky ได้แก่:
- การสุกของเถาวัลย์อย่างรวดเร็ว
- จำนวนผลไม้ (ประมาณ 40 กำต่อฤดูกาล)
- เพิ่มความต้านทานต่อโรคต่างๆ;
- ทนทานต่อน้ำค้างแข็ง ซึ่งหมายความว่าพืชสามารถทนต่ออุณหภูมิได้ถึง -20°C
- ผลเบอร์รี่ฉ่ำและใหญ่;
- ต้นองุ่นขนาดใหญ่;
- เมล็ดจำนวนเล็กน้อยในผลเบอร์รี่ (2-3 ชิ้น);
- การเก็บรักษาผลไม้ในระยะยาว;
- การสุกขององุ่นที่สม่ำเสมอ

ข้อเสียที่เราสังเกตได้มีดังนี้:
- โครงสร้างคล้ายน้ำของเนื้อรอบเมล็ด
- ข้อกำหนดสำหรับขั้นตอนการป้องกันตามระยะเวลา;
- มีปริมาณน้ำตาลอย่างรวดเร็วหลังจากอยู่บนต้นเป็นเวลานาน
วิธีการปลูก
องุ่นปลูกง่าย ต้องการดิน สภาพแวดล้อม และอุณหภูมิที่เฉพาะเจาะจง การดูแลที่เหมาะสมจะช่วยให้ได้ผลผลิตสูงขึ้น
การเลือกสถานที่
สถานที่ที่ดีที่สุดคือบริเวณที่มีแสงแดดส่องถึงอย่างสม่ำเสมอ เมื่อปลูกต้นกล้าหลายต้นพร้อมกัน ควรเว้นระยะห่างระหว่างต้น 2-3 เมตร เนื่องจากเถาวัลย์จะเจริญเติบโตอย่างรวดเร็ว สถานที่ที่ดีคือห่างจากอาคารที่พักอาศัย 2 เมตร เพื่อให้แน่ใจว่าต้นไม้ได้รับความร้อนสม่ำเสมอ

คำแนะนำในการเลือกกำหนดเวลา
พันธุ์นี้ปลูกได้ดีที่สุดในช่วงต้นฤดูใบไม้ผลิหรือฤดูใบไม้ร่วง แนะนำให้ปลูกโดยการเสียบยอด
การเตรียมพื้นที่
ก่อนปลูก ควรขุดหลุมลึก 1 เมตร กว้าง 60 เซนติเมตร ควรเตรียมพื้นที่ด้านล่างให้ระบายน้ำได้ดี โดยใช้ส่วนผสมของทราย อิฐทอง และหินบด ควรเติมส่วนผสมให้เต็มหลุมลึก 15-20 เซนติเมตร
วิธีการเลือกและเตรียมวัสดุปลูก
นอกจากนี้ ก่อนที่จะปลูกต้นกล้า คุณต้องใส่ปุ๋ยในดินด้วยส่วนผสมดังต่อไปนี้:
- ปุ๋ยคอก 1 ถัง;
- ซุปเปอร์ฟอสเฟต 100-150 กรัม
- พีท 1 ถัง;
- เกลือโพแทสเซียม 80-100 กรัม;
- ทราย 1 ถัง;
- ขี้เถ้าไม้ 1 ลิตร;
- ฮิวมัส 1 ถัง
แผนผังการปลูก
ควรสอดท่อระบายน้ำยาว 80 เซนติเมตรลงในหลุม และกลบดินดำไว้ทั่วพื้นผิว ก่อนปลูก ให้ตัดเถาวัลย์ที่ใกล้กับโคนต้นมากที่สุด จากนั้นปลูกต้นกล้าโดยให้รากหันไปทางทิศใต้และตาหันไปทางทิศเหนือ งอต้นกล้าเข้าหาท่อที่ติดตั้งไว้ ซึ่งทำหน้าที่เป็นฐานรองรับ จากนั้นเติมดินที่อุดมสมบูรณ์ลงในหลุมที่เหลือ หลังจากปลูกแล้ว ให้รดน้ำต้นไม้ด้วยน้ำอุ่น 1-2 ถัง
คำแนะนำในการดูแล
ด้วยการดูแลอย่างเหมาะสม พืชจะเติบโตอย่างแข็งแรงและให้ผลผลิตองุ่นอย่างอุดมสมบูรณ์แก่ชาวสวน ต้องอาศัยการรดน้ำ ใส่ปุ๋ย ตัดแต่งกิ่ง คลุมดิน และป้องกันแมลงและโรคต่างๆ อย่างสม่ำเสมอ
โหมดการรดน้ำ
ความจำเป็นในการรดน้ำสามารถพิจารณาได้จากความชื้นของดินใต้ต้นและสภาพอากาศโดยรวม (ความชื้นในอากาศ อุณหภูมิ ปริมาณน้ำฝน) ในช่วงฤดูร้อนที่อากาศแห้ง สามารถรดน้ำได้เดือนละสองครั้ง ดินควรมีความชื้นไม่เกินครึ่งเมตรรอบโคนต้น หากมีฝนตกหนักในช่วงเดือนนั้น สามารถหยุดการรดน้ำได้เลย

น้ำสลัด
เพื่อการเจริญเติบโตของพืชที่ดีที่สุด ควรใส่ปุ๋ยสามครั้งต่อฤดูกาล เริ่มใส่ปุ๋ยในฤดูใบไม้ผลิก่อนดอกบาน โดยผสมน้ำที่ตกตะกอน 10 ลิตรกับปุ๋ยเม็ด 30 กรัม
รดน้ำต้นไม้ด้วยสารละลายนี้ เมื่อผลเริ่มสุก ให้เติมซุปเปอร์ฟอสเฟต 30 กรัม กรดบอริก 3 กรัม และเกลือโพแทสเซียม 25 กรัม ลงในถังน้ำอุ่น รดน้ำต้นไม้ด้วยส่วนผสมที่ได้ ทำซ้ำหลังจากสองสัปดาห์ ในการเตรียมส่วนผสม คุณจะต้อง:
- เกลือโพแทสเซียม 10 กรัม;
- ไอโอดีน 5 มิลลิลิตร;
- โซดา 8 กรัม;
- ถังน้ำอุ่นที่ไหลผ่าน
หลังจากผสมส่วนผสมทั้งหมดแล้ว ควรฉีดพ่นส่วนผสมที่ได้ลงบนใบและกิ่งองุ่น
การคลุมดิน
ควรเริ่มคลุมดินเมื่อเถาองุ่นเริ่มแตกตา โดยคลุมฟางหนา 5 เซนติเมตรรอบโคนต้นองุ่น

การรักษาเชิงป้องกัน
มีผลิตภัณฑ์ 6 ชนิดที่เหมาะสำหรับการแปรรูป:
- เอฟาโลม
- ซันโดฟาน
- อามิสตาร์
- ผลกระทบ.
- โรวิเคิร์ท
- โรลิฮอม
สำคัญ! ควรตรวจพืชเป็นระยะเพื่อป้องกันและตรวจพบสัญญาณเริ่มต้นของโรค
การตัดแต่งกิ่งที่ถูกสุขลักษณะ
การตัดแต่งกิ่งแบบถูกสุขลักษณะจะทำในฤดูร้อน เมื่อมองเห็นเถาวัลย์ที่ตายหรือกำลังจะตาย ขั้นตอนนี้ยังจำเป็นเมื่อพบยอดที่เป็นโรคบนพุ่มไม้ ควรตัดแต่งกิ่งบริเวณเหล่านี้

การก่อตัวของมงกุฎ
การจัดแต่งทรงต้นให้เหมาะสมจะช่วยเพิ่มผลผลิตของคุณ วิธีการตัดแต่งกิ่งมีดังนี้:
- มาตรฐาน;
- รูปพัด;
- วงล้อม;
- กายอต์
การเตรียมตัวรับมือฤดูหนาว
เมื่อฤดูหนาวมาถึง จำเป็นต้องเตรียมต้นองุ่นให้พร้อม ขอแนะนำให้คลุมเถาองุ่นให้มิดชิดและตัดแต่งกิ่งก่อนฤดูหนาว สำหรับการคลุมเถาองุ่น ให้ตัดเถาองุ่นออกทั้งหมดและเด็ดใบออก จากนั้นกดกิ่งให้ชิดกับพื้นมากขึ้น
ควรห่อต้นไม้ด้วยผ้าธรรมชาติหรือฟิล์มฉนวนชนิดพิเศษ

ถุงเท้ายาว
สิ่งสำคัญคือต้องคอยดูแลกิ่งก้านของต้นไม้และมัดกิ่งก้านเป็นระยะๆ เพื่อไม่ให้กิ่งก้านหย่อนลงจากน้ำหนักของมันเอง
การป้องกันจากสัตว์ฟันแทะ
วิธีกำจัดหนูที่ได้ผลที่สุดคือการห่อกิ่งองุ่นด้วยฟิล์มพลาสติก วิธีนี้ช่วยให้พืชปลอดภัยอย่างสมบูรณ์
วิธีป้องกันตัวต่อและนก
เพื่อปกป้องพวงองุ่นจากตัวต่อและนก ให้คลุมผลองุ่นด้วยตาข่ายพิเศษหรือถุงน่องไนลอน อย่างไรก็ตาม สิ่งสำคัญคือต้องทราบว่าการทำเช่นนี้จะลดการระบายอากาศและเพิ่มความเสี่ยงต่อการเกิดโรค
ความยากลำบากในการเจริญเติบโต
ปัญหาหลักในการปลูกพันธุ์ Bogatyanovsky คือการเจริญเติบโตที่มากเกินไป หากไม่มีการตัดแต่งกิ่งอย่างเหมาะสม กิ่งก้านอาจยาวได้ถึงหลายสิบเมตร ดังนั้นจึงต้องดูแลขนาดและสภาพของกิ่งก้านอย่างต่อเนื่อง การคลุมพุ่ม Bogatyanovsky ในช่วงฤดูหนาวก็ค่อนข้างท้าทายเช่นกัน

การเก็บเกี่ยวและการเก็บรักษา
ควรตัดช่อดอกพันธุ์นี้และนำมาใช้ทันทีเมื่อผลสุกเต็มที่ หากผลสุกเต็มที่ยังคงอยู่บนต้นเป็นเวลานาน อาจเริ่มมีน้ำตาลสะสม
ควรเก็บองุ่นไว้ในสถานที่ที่มีอากาศถ่ายเทได้ดีและไม่โดนแสงแดดตลอดเวลา เพราะจะเป็นอันตรายและทำให้รสชาติของผลไม้ลดลง
เคล็ดลับจากนักจัดสวนผู้มีประสบการณ์
สำหรับผู้ที่ตัดสินใจปลูกองุ่นพันธุ์ Bogatyanovsky นี่คือเคล็ดลับบางประการจากชาวสวนผู้มีประสบการณ์:
- ควรซื้อวัสดุปลูกจากร้านค้าเฉพาะทางจะดีที่สุด
- การจะได้พวงองุ่นจำนวนมากจำเป็นต้องตรวจสอบสภาพกิ่ง กิ่ง น้ำ การตัดแต่ง และดำเนินการป้องกันอย่างต่อเนื่อง
- ขอแนะนำให้ลองใช้วิธีการปักหลักและตัดแต่งกิ่งแบบใหม่ พันธุ์นี้ปลูกง่ายมาก และสามารถเจริญเติบโตได้ดีแม้ในสภาพแวดล้อมที่ท้าทายสำหรับพืชชนิดอื่น











