- รายละเอียดและคุณสมบัติ
- ประวัติการคัดเลือก
- ลักษณะเด่น
- ลักษณะของพุ่มไม้
- ลักษณะของพวงและผลเบอร์รี่
- ผลผลิต
- ความสามารถในการขนส่ง
- ทนทานต่อน้ำค้างแข็งและภัยแล้ง
- ความต้านทานโรค
- คุณสมบัติของรสชาติ
- การประยุกต์ใช้ผลเบอร์รี่
- ข้อดีข้อเสียของความหลากหลาย
- วิธีการปลูกที่ถูกต้อง
- คำแนะนำในการเลือกกำหนดเวลา
- วิธีการเลือกและจัดเตรียมเว็บไซต์
- วิธีการเลือกและเตรียมวัสดุปลูก
- แผนผังการปลูก
- คำแนะนำในการดูแล
- โหมดการรดน้ำ
- น้ำสลัด
- ต้นฤดูใบไม้ผลิ
- เมื่อตาเริ่มก่อตัว
- เมื่อผลเบอร์รี่แรกสุก
- การตัดแต่งและจัดรูปทรง
- การคลุมดิน
- การพ่นป้องกัน
- การป้องกันจากนกและศัตรูพืช
- การเตรียมตัวรับมือฤดูหนาว
- การคลายและกำจัดวัชพืช
- วิธีการสืบพันธุ์
- โรคและแมลงศัตรูพืช
- วิธีการปลูกในถัง
- การเก็บเกี่ยวและการเก็บรักษา
- เคล็ดลับจากนักจัดสวนผู้มีประสบการณ์
องุ่นพันธุ์ Platovsky มีข้อได้เปรียบเหนือพันธุ์อื่นๆ คือ ให้ผลดีเยี่ยม สุกเร็ว ทนน้ำค้างแข็ง ให้ผลผลิตสูง ต้านทานโรคหลายชนิด และไม่ค่อยถูกศัตรูพืชรบกวน องุ่นพันธุ์นี้ปลูกในภูมิภาคคอเคซัสเหนือและภาคกลางของรัสเซีย อย่างไรก็ตาม สิ่งสำคัญที่ต้องจำไว้คือ องุ่นพันธุ์นี้จำเป็นต้องคลุมดินในฤดูใบไม้ร่วงหากปลูกในพื้นที่ละติจูดที่มีอุณหภูมิต่ำ องุ่นพันธุ์นี้ให้ผลผลิตเป็นไวน์ขาวที่ดีที่สุดชนิดหนึ่งของรัสเซีย
รายละเอียดและคุณสมบัติ
นี่คือองุ่นพันธุ์เทคนิค ซึ่งแตกต่างจากองุ่นแปรรูปสำหรับรับประทาน องุ่น Platovsky ให้ไวน์ขาวคุณภาพสูง
ประวัติการคัดเลือก
องุ่น Platovsky หรือที่รู้จักกันในชื่อ Early Dawn ได้รับการเพาะพันธุ์โดย I. Kostrikin, A. Maistrenko, S. Krasokhina และ L. Lychova ที่สถาบันวิจัยการปลูกองุ่นและการผลิตไวน์ All-Russian โดยการผสมข้ามพันธุ์ระหว่างพันธุ์ Podarok Magaracha และ Zaladende องุ่นพันธุ์นี้ทนทานต่อน้ำค้างแข็ง แทบไม่มีโรค และต้านทานโรคใบไหม้ (phylloxera) องุ่นพันธุ์นี้ได้รับการขึ้นทะเบียนในทะเบียนความสำเร็จด้านการปรับปรุงพันธุ์ของรัฐในปี พ.ศ. 2546
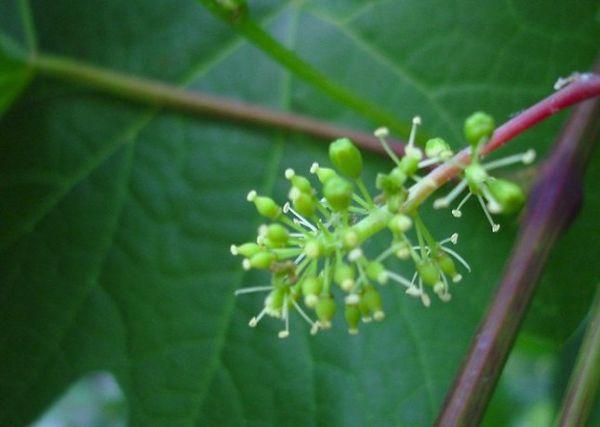
ลักษณะเด่น
องุ่นพันธุ์ Platovsky เป็นพันธุ์ที่ออกผลเร็วมาก ใช้เวลา 110 วันตั้งแต่ตาดอกบวมจนถึงเก็บเกี่ยว ยอดอ่อนมีสีเขียวอมแดงหรือสีเบอร์กันดี ใบมี 5 แฉก เป็นลอน และมีสีเขียวมรกตเข้ม เส้นใบที่โคนใบเป็นสีแดง เปลี่ยนเป็นสีเขียวอ่อนไปทางขอบ
ลักษณะของพุ่มไม้
เถาองุ่นมีขนาดกลาง ใบมีขนาดเล็ก ผ่ากลาง และมีขนสั้น ดอกเป็นเพศผู้

ลักษณะของพวงและผลเบอร์รี่
หนึ่งถึงสามกลุ่มจะก่อตัวขึ้นบนยอดเดียว กลุ่มเหล่านี้มีรูปร่างคล้ายทรงกระบอกทรงกรวย น้ำหนัก 217 กรัม ความหนาแน่นอยู่ในระดับปานกลาง
องุ่นมีสีขาวอมเขียว ฉ่ำน้ำ และกลม มีกลิ่นมัสกัต เปลือกบาง เมื่อโดนแสงแดด ผลจะมีสีชมพูอ่อนๆ แต่ละผลมีน้ำหนัก 2-4 กรัม ไวน์แห้งมีคะแนนการชิมอยู่ที่ 7.4 มีปริมาณน้ำตาล 21.3% และความเป็นกรด 8.6 กรัม/ลิตร เมื่อสุกเต็มที่ ผลสามารถห้อยอยู่บนเถาได้โดยไม่ร่วงหล่นนานถึงหนึ่งเดือน แต่ละผลมีเมล็ด 2-3 เมล็ด ก้านผลสั้นและองุ่นไม่ติดกันแน่น
ผลผลิต
พันธุ์นี้ให้ผลผลิตสูง โดยให้ผลผลิต 373-489 กิโลกรัมต่อพื้นที่ 100 ตารางเมตร สามารถเก็บเกี่ยวได้มากถึง 6 กิโลกรัมต่อพุ่ม ยอดโตเต็มที่ถึง 80%
ความสามารถในการขนส่ง
พวงมีความหนาแน่นจึงสามารถขนส่งในระยะทางไกลได้
ทนทานต่อน้ำค้างแข็งและภัยแล้ง
องุ่นพันธุ์นี้สามารถทนต่อน้ำค้างแข็งได้ถึง -29°C หากปลูกในพื้นที่ภาคเหนือ ควรคลุมองุ่นไว้ตลอดฤดูหนาว องุ่นพันธุ์นี้เหมาะสำหรับปลูกในเขตคอเคซัสเหนือ

ความต้านทานโรค
เถาวัลย์มีภูมิคุ้มกันต่อโรคเชื้อรา เช่น ราดำ ราเทา และออยเดียม
คุณสมบัติของรสชาติ
เบอร์รี่มีน้ำฉ่ำมากและหวาน มีกลิ่นมัสกัต
การประยุกต์ใช้ผลเบอร์รี่
หลังจากการหมัก ผลเบอร์รี่จะผลิตไวน์หวานและไวน์สำหรับรับประทาน ผลไม้จะถูกคั้นเป็นน้ำ ทำเป็นลูกเกด และรับประทานสด นอกจากนี้ยังสามารถนำไปใช้ทำผลไม้แช่อิ่มและแยมได้อีกด้วย
ข้อดีข้อเสียของความหลากหลาย
ข้อดี:
- ต้นกล้าองุ่นหยั่งรากและขยายพันธุ์ได้ในดินทุกชนิด
- เมื่อฝนตก ผลไม้จะเกิดจำนวนเท่ากับแสงแดด เพียงแต่จะมีน้ำตาลน้อยกว่า
- ผลเบอร์รี่ไม่ได้มีขนาดเท่าเมล็ดถั่ว
- ผลเบอร์รี่สามารถห้อยและไม่ร่วงหล่นได้ภายใน 30 วันหลังจากสุก
- แม้ว่าจะเป็นพันธุ์องุ่นที่ต้องใช้เทคนิคพิเศษแต่ก็ไม่ได้ใช้ทำไวน์เท่านั้น แต่ผลองุ่นยังมีรสชาติดีสำหรับทำของหวานอีกด้วย
- เนื่องจากมีปริมาณน้ำตาลสูงและมีลักษณะเฉพาะของผลไม้ ทำให้ไวน์มีรสเปรี้ยวพร้อมกลิ่นแอปเปิ้ลเขียว
ข้อเสียคือต้องคลุมองุ่นหากไม่มีหิมะในฤดูหนาว

วิธีการปลูกที่ถูกต้อง
ควรเลือกสถานที่ที่มีความลึกของน้ำใต้ดินอย่างน้อย 1.5 ม.
เลือกสถานที่ที่มีแสงสว่างเพียงพอ เช่น แปลงที่หันหน้าไปทางทิศใต้ ทิศตะวันตก หรือทิศตะวันตกเฉียงใต้ หลีกเลี่ยงการปลูกองุ่นใกล้บ้านหรือรั้ว หลีกเลี่ยงพื้นที่ลุ่มซึ่งมีความชื้นสูง พื้นที่ลาดเอียงที่หันไปทางทิศใต้เป็นตัวเลือกที่ดี
องุ่นชอบปลูกในดินเชอร์โนเซม ดินร่วน หรือดินเหนียวปนหินปูน องุ่นไม่เจริญเติบโตในดินที่เป็นหนองน้ำ ดินเปรี้ยว หรือดินเค็ม
คำแนะนำในการเลือกกำหนดเวลา
ต้นกล้าปลูกในเดือนตุลาคม 10 วันก่อนน้ำค้างแข็งครั้งแรก ควรปลูกในฤดูใบไม้ร่วงดีกว่าฤดูใบไม้ผลิ เพราะเถาวัลย์มีเวลาสร้างรากก่อนฤดูหนาวจะเริ่มต้น
หากปลูกในฤดูใบไม้ผลิ อุณหภูมิของดินควรอยู่ที่ +10 องศา และอุณหภูมิอากาศควรอยู่ที่ +15 องศา
วิธีการเลือกและจัดเตรียมเว็บไซต์
สามสัปดาห์ก่อนปลูก ควรขุดหลุมปลูกตั้งแต่เนิ่นๆ เพื่อให้ดินยุบตัว หลุมควรมีเส้นผ่านศูนย์กลาง 0.8 เมตร และลึก 0.6 เมตร

วางชั้นกรวดและดินเหนียวขยายตัวหนา 10 ซม. ไว้ที่ก้นหลุม ฝังท่อพลาสติกเส้นผ่านศูนย์กลาง 6 ซม. ลงในแนวตั้ง สูงจากผิวดิน 15 ซม. เพื่อการชลประทาน ใส่วัสดุปลูกลงในแต่ละหลุมและปล่อยให้ดินยุบตัว วัสดุปลูกควรประกอบด้วยฮิวมัสหนึ่งถัง ไนโตรแอมโมฟอสกาหนึ่งถ้วยตวง และเถ้าหนึ่งถ้วยตวง
วิธีการเลือกและเตรียมวัสดุปลูก
เมื่อซื้อ ควรเลือกต้นกล้าที่มีอายุ 1 ปี สูง 50 ซม. ควรมีเส้นรอบวงลำต้น 6 ซม. และความยาวของระบบราก 10 ซม. รากไม่ควรแห้งเกินไป และต้นควรมีตาที่แข็งแรง ซึ่งจะบวมเล็กน้อยในฤดูใบไม้ผลิ ตาไม่ควรร่วงหรือแห้ง
แผนผังการปลูก
ตัดแต่งต้นกล้าให้เหลือตาสี่ตา ตัดแต่งระบบรากเล็กน้อย แล้วนำไปแช่ในสารละลายน้ำ 10 ลิตร โซเดียมฮิวเมต 1 ช้อนชา และดินเหนียว 400 กรัม เป็นเวลา 2-3 ชั่วโมง
ในแต่ละหลุม ให้ถมดินเป็นกองๆ แล้ววางต้นกล้าลงไป โดยให้ตาต้นกล้าหันไปทางทิศเหนือ และรากหันไปทางทิศใต้ รากจะแผ่กว้างและคลุมด้วยดิน ส่วนคอรากควรอยู่ใต้ดิน และตาต้นกล้าควรอยู่เหนือคอราก
รดน้ำให้ชุ่ม โดยรดน้ำ 3 ถังใต้ต้นกล้า คลุมดินใต้ต้นด้วยฟิล์มพลาสติก เมื่อต้นไม้ตั้งตัวได้แล้ว ให้ลอกฟิล์มออก
คำแนะนำในการดูแล
รดน้ำและใส่ปุ๋ยพืชในช่วงฤดูปลูก เพื่อลดความเสี่ยงของโรค ต้นกล้าจะถูกฉีดพ่นยาฆ่าแมลง ในฤดูใบไม้ร่วง ต้นกล้าจะถูกตัดแต่งเพื่อจัดแต่งทรงเถาวัลย์ ผูกลวดเข้ากับท่อที่ต้นและปลายแถว และผูกยอดเข้ากับลวด

โหมดการรดน้ำ
หลังจากปลูกแล้ว ให้รดน้ำต้นกล้าสัปดาห์ละครั้ง เป็นเวลา 30 วัน เติมน้ำ 5 ลิตรใต้ต้นกล้าแต่ละต้น จากนั้นรดน้ำเดือนละสองครั้ง
เมื่อองุ่นเจริญเติบโตก็จะรดน้ำดังนี้:
- ในฤดูใบไม้ผลิ เมื่อที่พักพิงถูกรื้อออก
- 7 วันก่อนที่ดอกตูมจะบาน;
- หลังจากที่ผลเบอร์รี่เริ่มตั้งตัว
รดน้ำให้ชุ่ม 4 ลิตรใต้พุ่มไม้ตอนเย็น หลีกเลี่ยงการรดน้ำที่ใบและลำต้น คุณสามารถเติมขี้เถ้า 500 กรัมลงไปในน้ำได้
เทน้ำลงในท่อพลาสติกที่ฝังไว้ หากไม่มีท่อให้ขุดหลุม ขุดหลุมกลมห่างจากลำต้น 30 ซม. ลึก 25 ซม. หลังจากรดน้ำแล้วให้เติมดินลงไป
เมื่อผลเริ่มสุก องุ่นจะไม่ได้รับการรดน้ำ ไม่เช่นนั้นจะแตก
ในฤดูใบไม้ร่วง 10 วันก่อนน้ำค้างแข็งครั้งแรก จะมีการรดน้ำเพื่อเติมความชื้น
น้ำสลัด
หากใส่ปุ๋ยลงในดินเมื่อปลูกต้นกล้า การใส่ปุ๋ยก็จะเริ่มในปีที่ 3 หลังจากปลูก

ต้นฤดูใบไม้ผลิ
เติมซุปเปอร์ฟอสเฟต 20 กรัม แอมโมเนียมไนเตรต 10 กรัม และโพแทสเซียมซัลเฟต 5 กรัม ลงในถังน้ำ เทส่วนผสมนี้ลงใต้ต้นไม้ต้นหนึ่ง แล้วรดน้ำ
เมื่อตาเริ่มก่อตัว
คุณสามารถผสมโพแทสเซียมแมกนีเซียมซัลเฟต 10 กรัม และแอมโมเนียมไนเตรต 20 กรัม ลงในถังน้ำ (10 ลิตร) ส่วนผสมนี้เพียงพอสำหรับพื้นที่ 1 ตารางเมตร หลังจากใส่ปุ๋ยแล้ว ควรรดน้ำองุ่นอีกครั้ง
เมื่อผลเบอร์รี่แรกสุก
เลือกวันที่ไม่มีแสงแดดและฉีดพ่นใบด้วยสารละลาย Novofert, Aquarin, Kemira
การตัดแต่งและจัดรูปทรง
เพื่อส่งเสริมการเจริญเติบโตของรากตามปกติ ควรตัดแต่งรากที่ขึ้นใกล้ผิวดิน หลังจากปลูกได้หนึ่งปี ในเดือนสิงหาคม ให้ขุดดินหนา 20 เซนติเมตรใกล้โคนต้น จากนั้นตัดรากด้านบนที่โผล่ออกมาออกด้วยกรรไกรตัดแต่งกิ่ง จากนั้นกลบดินทับต้นกล้าอีกครั้ง

เหลือตาไว้ 3-4 ตาบนเถาที่ออกผล แล้วตัดส่วนที่เหลือออก น้ำหนักรวมของตาบนต้นควรอยู่ที่ 30-40 ตา
การคลุมดิน
เพื่อป้องกันไม่ให้ดินแห้งเร็วเกินไปหลังจากรดน้ำ 14 วันหลังปลูก ให้คลุมดินด้วยพีทหนา 5-10 ซม. หลังจากนั้นให้พรวนดินเป็นระยะๆ
การพ่นป้องกัน
ควรฉีดพ่นด้วยสารชีวภาพที่ปลอดภัยที่สุด เพื่อให้ได้ผลดี อุณหภูมิอากาศต้องอย่างน้อย 10°C จึงจะสามารถใช้ได้ทั้งก่อนดอกแตกและหลังดอกบาน สารฆ่าเชื้อรา (สำหรับโรคพืช) ได้แก่ ฟิโตสปอริน เพนตาแฟก ฟาร์มาโยด และบัคโทฟิต
เพื่อต่อสู้กับแมลงศัตรูพืช คุณสามารถใช้ Actofit (ป้องกันไรและเพลี้ยไฟ), Fitoverm และ Bitoxyballicin (ป้องกันใบม้วน) สารเหล่านี้สามารถใช้ได้ทั้งในช่วงออกดอกและแม้กระทั่งในช่วงติดผล

การป้องกันจากนกและศัตรูพืช
เพื่อป้องกันนก คุณสามารถวางตาข่ายโลหะรอบพุ่มไม้ได้ หรือจะพันพุ่มไม้ด้วยถุงน่องไนลอนหรือผ้าโปร่งก็ได้
พันธุ์นี้มีความทนทานต่อการโจมตีของโรค Phylloxera
การเตรียมตัวรับมือฤดูหนาว
ในฤดูใบไม้ร่วง หลังจากใบองุ่นร่วงหล่นจากเถาองุ่นแล้ว ต้นองุ่นจะถูกตัดแต่ง เถาองุ่นที่มีสีน้ำตาล หมายถึง สุกแล้วจะถูกทิ้งไว้ ส่วนเถาองุ่นที่ยังไม่สุกและมีสีเขียวอ่อนจะถูกตัดทิ้ง
จากนั้นจึงทำการถมดินลำต้นองุ่น จากนั้นจึงแกะเชือกองุ่นออกแล้ววางลงบนพื้น จากนั้นจึงติดตั้งซุ้มโลหะลงในดิน และขึงใยพืชคลุมไว้ ปลายเรือนกระจกไม่ได้คลุมด้วยใยพืช แต่คลุมเฉพาะส่วนบนและด้านข้างเท่านั้น เพื่อป้องกันไม่ให้เถาเน่า องุ่นจะถูกคลุมด้วยใยพืชอย่างมิดชิดเมื่ออุณหภูมิอากาศลดลงต่ำกว่า -15°C วางหิมะที่ตกทับบนใยพืช
การคลายและกำจัดวัชพืช
หลังจากรดน้ำและฝนตกหนัก ควรพรวนดินเล็กน้อยเพื่อป้องกันการแข็งตัวของดิน ควรกำจัดวัชพืชออกด้วย

วิธีการสืบพันธุ์
องุ่น Platovsky สามารถขยายพันธุ์ได้ด้วยการเพาะเมล็ด การปักชำ และการตอนกิ่ง
วิธีที่ง่ายที่สุดคือการทำชั้น เถาวัลย์จะถูกกดลงไปในดิน ขุดร่องดิน และคลุมเถาวัลย์ด้วยดินเพื่อรักษาความชื้นของดินให้คงที่ จากนั้นจึงตัดชั้นที่มีรากออกจากเถาต้นแม่
คุณสามารถขยายพันธุ์เถาวัลย์ได้โดยใช้กิ่งปักชำของคุณเอง ในฤดูใบไม้ร่วง ให้ตัดกิ่งที่มีความยาวสูงสุด 20-30 ซม. และมีเส้นผ่านศูนย์กลาง 7-10 มม. จากใจกลางเถาวัลย์ จากนั้นแช่น้ำไว้ 24 ชั่วโมง จากนั้นจึงใช้เหล็กซัลเฟต นำไปแช่ในห้องใต้ดินและเก็บไว้จนถึงวันที่ 15 มกราคม
จากนั้นเทดินที่อุดมสมบูรณ์ลงในขวดพลาสติกที่ตัดแล้วและวางกิ่งพันธุ์ไว้ที่นั่น
สำหรับการปักชำกิ่ง เราขอแนะนำให้ใช้ต้นตอพันธุ์ Riparia Kober 5BB หรือ Berlandieri เนื่องจากมีความทนทานต่อโรคใบไหม้
โรคและแมลงศัตรูพืช
ในการบำบัดองุ่น ให้พ่นด้วย Horus, Antracol, Ridomil ตามคำแนะนำ
เพื่อกำจัดแมลงศัตรูพืช ให้ฉีดพ่นองุ่นด้วยแอคเทลลิค คาร์โบฟอส และฟูฟานอน เว้นระยะห่างระหว่างการฉีดพ่น 10 วัน

วิธีการปลูกในถัง
ถังแต่ละใบควรจุได้ 65 ลิตร จากนั้นเจาะรูที่ก้นถัง 40 รู แต่ละรูมีเส้นผ่านศูนย์กลาง 1 ซม. ควรวางชั้นระบายน้ำที่ทำจากกรวดเล็กๆ หรือดินเหนียวขยายตัวที่ก้นถัง เติมพื้นที่ที่เหลือด้วยวัสดุรองพื้นจากใบไม้ผุ ทราย และพีท
สามารถปลูกต้นไม้ในถังได้ตั้งแต่ปลายเดือนพฤษภาคมถึงปลายเดือนกันยายน
สำหรับฤดูหนาว ควรฝังถังองุ่นไว้ในดินบนแปลงปลูก และในช่วงต้นฤดูใบไม้ผลิ ควรนำถังออกจากดินและย้ายไปยังเรือนกระจก จากนั้นในช่วงต้นเดือนเมษายน พืชจะเริ่มออกดอก
การเก็บเกี่ยวและการเก็บรักษา
ในภาคใต้ การเก็บเกี่ยวองุ่นจะเริ่มขึ้นในช่วงสิบวันแรกของเดือนสิงหาคม ควรเก็บผลองุ่นเมื่อสุก โดยตัดพวงองุ่นอย่างระมัดระวังด้วยกรรไกร จากนั้นจึงนำไปใส่กล่องไม้หรือตะกร้า

กล่องเบอร์รี่จะถูกย้ายไปยังห้องที่มีอุณหภูมิ +1 ถึง +4 องศาเซลเซียส พวงเบอร์รี่ที่สุกเกินไปจะถูกนำมารับประทานและนำไปใช้ทำไวน์ เพื่อยืดอายุการเก็บรักษา ให้โรยขี้เลื่อยสดลงบนพวงเบอร์รี่
เคล็ดลับจากนักจัดสวนผู้มีประสบการณ์
แนะนำให้ทำการเก็บเกี่ยวให้ได้มาตรฐานโดยเหลือไว้ 2 ช่อบนลำต้น
พวกมันยังตัดยอดด้านนอกและเถาวัลย์ที่ไม่ติดผลออกด้วย พวกมันยังตัดใบที่บังช่อดอกจากแสงแดดออกด้วย











