- รายละเอียดและคุณสมบัติ
- เถาวัลย์
- ช่อดอก
- เบอร์รี่
- รสชาติ
- ภูมิภาคที่กำลังเติบโต
- ประวัติการคัดเลือก
- ลักษณะเด่น
- ความต้านทานต่อความแห้งแล้ง
- ความต้านทานต่อน้ำค้างแข็ง
- ผลผลิตและการออกผล
- พื้นที่การประยุกต์ใช้ผลไม้
- ความต้านทานต่อโรคและแมลง
- พันธุ์ต่างๆ
- บรูเนลโล
- นีลุชชิโอ
- ข้อดีข้อเสียของความหลากหลาย
- วิธีการปลูกที่ถูกต้อง
- คำแนะนำในการเลือกกำหนดเวลา
- การเลือกสถานที่
- ความต้องการของดิน
- การเตรียมพื้นที่
- วิธีการเลือกและเตรียมวัสดุปลูก
- แผนผังการปลูก
- คำแนะนำในการดูแล
- โหมดการรดน้ำ
- น้ำสลัด
- การเตรียมตัวรับมือฤดูหนาว
- การคลุมดิน
- การตัดแต่ง
- การป้องกันโรคและแมลงศัตรูพืช
- การกำจัดวัชพืชและการคลายดิน
- ถุงเท้ายาว
- วิธีการสืบพันธุ์
- การเก็บเกี่ยวและการเก็บรักษา
- การประยุกต์ใช้ในการผลิตไวน์
- เคล็ดลับจากนักจัดสวนผู้มีประสบการณ์
องุ่นพันธุ์ซานจิโอเวเซเป็นพืชอุตสาหกรรมยอดนิยมที่ชาวสวนจำนวนมากปลูก ผลองุ่นพันธุ์นี้ถูกนำมาใช้อย่างแพร่หลายในการผลิตไวน์ ทำให้ได้เครื่องดื่มคุณภาพสูง เพื่อให้การเพาะปลูกประสบความสำเร็จ ขอแนะนำให้ปฏิบัติตามแนวทางการเกษตรที่เหมาะสม ซึ่งรวมถึงการปลูก การรดน้ำ และการใส่ปุ๋ยอย่างเหมาะสม
รายละเอียดและคุณสมบัติ
พันธุ์นี้มีลักษณะเด่นคือผลสีน้ำเงินเข้มหวานเข้มข้น รสชาติเปรี้ยวอมหวาน สดชื่น พันธุ์ที่มีตั้งแต่สีน้ำเงินไปจนถึงสีม่วงก็พบเห็นได้ทั่วไป
ผลมีลักษณะกลมมนสวยงาม ออกเป็นช่อขนาดกลาง มีกิ่งก้านเป็นรูปปีก ช่อมีลักษณะเป็นรูปกรวย ในบางกรณีอาจมีรูปทรงกระบอกเล็กน้อย
เถาวัลย์
พันธุ์นี้มีลักษณะเด่นคือการเจริญเติบโตอย่างรวดเร็ว พุ่มมีขนาดกลาง หน่อข้างลำต้นไม่หนาแน่นเกินไป ขนาด สีของผล และระยะเวลาการสุกจะแตกต่างกันไปตามชนิดของพืช โดยรวมแล้วถือว่าเป็นพืชที่สุกช้า
เจริญเติบโตได้ดีในดินปูนและมีความต้านทานโรคและอุณหภูมิต่ำได้ดี ใบมีรูปร่างมาตรฐาน มีรอยหยักลึก อย่างไรก็ตาม บางใบมี 3-5 แฉก และมีรอยหยักมนตรงที่ก้านใบยึดติด
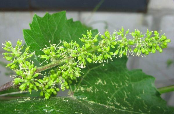
ช่อดอก
พันธุ์นี้มีลักษณะเด่นคือดอกบานเร็วคล้ายเกล็ดหิมะและมีกลิ่นหอมเฉพาะตัว

เบอร์รี่
ผลมีลักษณะกลม บางครั้งก็ยาวรี ผลมีหลายสี เช่น ชมพู ม่วง และน้ำเงินเข้ม
รสชาติ
เบอร์รี่มีรสชาติหวานปานกลาง มีรสเปรี้ยวเล็กน้อย มีกลิ่นผลไม้ ผู้เชี่ยวชาญอาจพบกลิ่นเชอร์รี่หรือสตรอว์เบอร์รีเล็กน้อย
ภูมิภาคที่กำลังเติบโต
พืชชนิดนี้ส่วนใหญ่ปลูกในอิตาลี ซึ่งเป็นถิ่นกำเนิดของมัน นอกจากนี้ยังมีการปลูกกันอย่างแพร่หลายในประเทศอื่นๆ อีกด้วย ประมาณ 75% ของผลผลิตทั้งหมดมาจากแคว้นทัสคานี ส่วนองุ่นประมาณ 10% มาจากทางตอนเหนือของอิตาลี พืชชนิดนี้ยังปลูกในสหรัฐอเมริกา เม็กซิโก และอาร์เจนตินา และยังปลูกในออสเตรเลียอีกด้วย
องุ่นพันธุ์ซานจิโอเวเซ "พันธุ์แท้" พบได้เฉพาะในอิตาลีเท่านั้น นำมาทำไวน์ชื่อเดียวกัน นอกจากพันธุ์ดั้งเดิมแล้ว ยังมีพันธุ์อื่นๆ อีกหลายชนิด พันธุ์ที่ได้รับความนิยมมากที่สุด ได้แก่:
- ซังจิโอเวเซ่ขนาดใหญ่
- ซังจิโอเวเซ่ตัวน้อย
ไวน์ชนิดแรกถือว่ามีคุณภาพสูงกว่า มีรสชาติโดดเด่น และนำมาใช้ทำไวน์ Nobile di Montepulciano และ Brunello di Montalcino

ประวัติการคัดเลือก
การศึกษาทางพันธุกรรมได้เผยให้เห็นความสัมพันธ์ระหว่างพันธุ์องุ่นนี้กับองุ่นพันธุ์อื่นๆ ในทัสคานี รวมถึง Ciliegiolo และ Calabrese di Montenuovo ปัจจุบันมีสมมติฐานที่น่าสนใจมากมาย อย่างไรก็ตาม ยังไม่มีคำตอบที่ชัดเจนเกี่ยวกับต้นกำเนิดของพันธุ์องุ่นนี้
เชื่อกันว่าองุ่นพันธุ์ซันจิโอเวเซมีมาตั้งแต่สมัยจักรวรรดิโรมัน มีหลักฐานว่าองุ่นพันธุ์นี้ปลูกโดยชนเผ่าโบราณ โดยเฉพาะชาวอีทรัสคัน นักรบเก็บไวน์ไว้เป็นจำนวนมากในถ้ำบนภูเขาโจวิส ในจังหวัดโรมัญญา
แหล่งข้อมูลวรรณกรรมมากมายมีข้อมูลเกี่ยวกับองุ่นพันธุ์นี้และไวน์ชั้นเลิศที่ทำจากองุ่นพันธุ์นี้ ข้อมูลนี้ปรากฏครั้งแรกในยุคกลาง องุ่นพันธุ์นี้ใช้ทำไวน์แดง สำหรับเครื่องดื่มที่มีฉลากว่า "blanc" จะใช้พันธุ์อื่นๆ
ลักษณะเด่น
ก่อนที่จะปลูกองุ่นพันธุ์นี้ในแปลงของคุณ ขอแนะนำให้วิเคราะห์ลักษณะสำคัญของมันเสียก่อน
ความต้านทานต่อความแห้งแล้ง
พันธุ์นี้ทนแล้งได้ดี ผู้เชี่ยวชาญหลายคนบอกว่าไม่จำเป็นต้องรดน้ำเกินสองครั้งต่อปี
ความต้านทานต่อน้ำค้างแข็ง
พืชชนิดนี้ชอบอากาศร้อน เนื่องจากมีถิ่นกำเนิดในอิตาลีที่มีแดดจัด หากต้องการปลูกในพื้นที่ที่มีอากาศหนาวเย็น แนะนำให้คลุมดินให้มิดชิด

ผลผลิตและการออกผล
พันธุ์นี้โดดเด่นด้วยผลผลิตเฉลี่ย หากได้รับการดูแลอย่างเหมาะสมและมีคุณภาพสูง จะให้ผลผลิตสูงกว่าค่าเฉลี่ย
พื้นที่การประยุกต์ใช้ผลไม้
ผลเบอร์รี่ขององุ่นพันธุ์นี้ถูกนำมาใช้อย่างแพร่หลายในการผลิตไวน์ ผลซานจิโอเวเซเป็นส่วนประกอบของไวน์เคียนติยอดนิยม องุ่นพันธุ์นี้ให้ไวน์แดงรสเผ็ดร้อน มีกลิ่นเชอร์รี่และลูกพรุนอ่อนๆ การบ่มเป็นสิ่งสำคัญอย่างยิ่งเพื่อให้ไวน์มีรสชาติดีที่สุด
ความต้านทานต่อโรคและแมลง
พันธุ์นี้ค่อนข้างอ่อนไหวต่อโรคราน้ำค้าง มีความทนทานต่อโรคราน้ำค้างและโรคราน้ำค้างผงมากกว่าเล็กน้อย มีการใช้วิธีการป้องกันเพื่อป้องกันปัญหา
ชาวสวนองุ่นที่มีประสบการณ์จะฉีดพ่นองุ่นเพื่อป้องกันการติดเชื้ออันตราย เช่น โรคแคงเกอร์แบคทีเรีย โรคหัดเยอรมัน โรคแบคทีเรีย โรคคลอโรซิส และโรคแอนแทรคโนส มาตรการเหล่านี้ช่วยป้องกันผลกระทบอันตรายต่อพืช
พันธุ์ต่างๆ
องุ่นพันธุ์นี้มีอยู่หลายสายพันธุ์ โดยแต่ละสายพันธุ์ก็มีลักษณะเด่นเฉพาะของตัวเอง
บรูเนลโล
ภายใต้ชื่อนี้ พืชชนิดนี้ได้รับความนิยมในแคว้นทัสกานี ผลของมันถูกนำไปใช้อย่างแพร่หลายในการผลิตไวน์ Brunello de Montalcino

นีลุชชิโอ
พันธุ์นี้เป็นที่นิยมในคอร์ซิกาและถูกนำมาใช้ทำไวน์เคียนติอันโด่งดัง จนกระทั่งกลางศตวรรษที่ 19 ซังจิโอเวเซถูกใช้เฉพาะสำหรับไวน์แห้งชนิดนี้ อย่างไรก็ตาม ต่อมาได้มีการปรับเปลี่ยนสูตรการผลิต โดยลดสัดส่วนซังจิโอเวเซลงเหลือ 70% นอกจากนี้ยังมีมัลวาเซียและคานาอิโอโลรวมอยู่ด้วย
ข้อดีข้อเสียของความหลากหลาย
ข้อได้เปรียบหลักของความหลากหลายมีดังต่อไปนี้:
- รสชาติเยี่ยมยอด;
- ความเป็นไปได้ในการนำไปใช้ผลิตไวน์;
- ต้านทานการติดเชื้อบางชนิด
อย่างไรก็ตาม องุ่นก็มีข้อเสียเช่นกัน ดังนั้น ผู้เชี่ยวชาญบางคนจึงมองว่าองุ่นมีคุณค่า องุ่นเป็นพืชที่ค่อนข้างพิถีพิถัน ผลมีกรดสูง เปลือกบางและเน่าง่ายในสภาพที่มีความชื้นสูง
เพื่อหลีกเลี่ยงปัญหาดังกล่าวและป้องกันไม่ให้ไวน์มีรสชาติเปรี้ยวหรือจืดชืด ขอแนะนำให้ดูแลอย่างระมัดระวัง ซึ่งเกี่ยวข้องกับการเพาะปลูกองุ่นอย่างเป็นระบบ
วิธีการปลูกที่ถูกต้อง
ในอิตาลี พืชชนิดนี้ปลูกและเจริญเติบโตภายใต้สภาพแวดล้อมเฉพาะ ไร่องุ่นตั้งอยู่สูงจากระดับน้ำทะเล 250-350 เมตร ต้องการพื้นที่ที่มีแสงแดดส่องถึงและมีแสงสว่างเพียงพอ ดินควรมีแคลเซียม ไม่แนะนำให้ใช้ดินเหนียวหรือดินทราย

ผู้ที่ชื่นชอบบางคนปลูกซานจิโอเวเซในพื้นที่ทางตอนใต้ของรัสเซียหรือยูเครน บางครั้งก็พยายามปลูกในเขตมอสโกด้วย เนื่องจากพันธุ์นี้ถือว่าสุกช้า จึงสามารถปลูกในพื้นที่เหล่านี้ได้
คำแนะนำในการเลือกกำหนดเวลา
อิตาลีมีภูมิอากาศอบอุ่น ดังนั้นองุ่นซังจิโอเวเซจึงเริ่มออกดอกเร็วตั้งแต่กลางเดือนเมษายน ในกรณีนี้ แนะนำให้ปลูกองุ่นในช่วงต้นฤดูใบไม้ผลิหลังจากที่อากาศอบอุ่นเริ่มดีขึ้น ในภูมิภาคอื่นๆ สามารถปลูกองุ่นได้ในภายหลัง
การเลือกสถานที่
การปลูกพืชชนิดนี้ในรัสเซียต้องอาศัยความรู้พอสมควร พันธุ์ทางใต้นี้ถือว่าค่อนข้างแปรปรวนและต้องการการดูแลมาก ไม่สามารถให้ผลผลิตได้ทันที นอกจากนี้ ยังไวต่อแสงและการดูแลเป็นอย่างมาก
ควรใส่ใจเป็นพิเศษกับการเลือกพื้นที่ปลูก องุ่นเจริญเติบโตได้ดีบนเนินเขาที่หันหน้าไปทางทิศใต้และพื้นที่โล่งที่ไม่มีร่มเงา
สิ่งสำคัญที่ต้องจำไว้คือพืชชนิดนี้ไม่ทนต่ออากาศร้อน ไวต่อการเปลี่ยนแปลงของอุณหภูมิและองค์ประกอบของดิน ดังนั้น การเลือกสถานที่ปลูกจึงต้องพิจารณาอย่างรอบคอบ

ความต้องการของดิน
พันธุ์ซังจิโอเวเซไม่เจริญเติบโตในดินเหนียวหรือดินทราย แต่เจริญเติบโตในดินด่าง
การเตรียมพื้นที่
เพื่อให้ดินเป็นด่าง ขอแนะนำให้เติมชอล์กหรือโดโลไมต์ การระบายน้ำที่ดีก็เป็นสิ่งสำคัญเช่นกัน สามารถทำได้ง่ายๆ โดยใช้อิฐบด กรวด หรือหินบด
วิธีการเลือกและเตรียมวัสดุปลูก
เพื่อความสำเร็จในการปลูกพืชผล ขอแนะนำให้เลือกวัสดุปลูกอย่างระมัดระวัง ต้นกล้าที่แข็งแรง ปราศจากโรคหรือแมลงศัตรูพืช ถือเป็นสิ่งที่ดีที่สุด
แผนผังการปลูก
เมื่อดำเนินการปลูกต้นไม้ สิ่งสำคัญคือต้องปฏิบัติตามคำแนะนำบางประการ:
- ขุดหลุมให้มีขนาดเท่ากับระบบรากของต้นไม้
- วางต้นกล้าไว้ตรงกลางหลุม
- โรยด้วยดินแล้วอัดให้แน่น
- รดน้ำต้นไม้;
- คลุมพื้นดินด้วยวัสดุคลุมดิน

คำแนะนำในการดูแล
เพื่อให้แน่ใจว่าพืชเจริญเติบโตตามปกติ ขอแนะนำให้ดูแลอย่างมีคุณภาพและครอบคลุม
โหมดการรดน้ำ
ผู้เชี่ยวชาญแนะนำว่าควรรดน้ำต้นไม้ไม่เกินปีละสองครั้ง อย่างไรก็ตาม กฎนี้ใช้ได้เฉพาะในคาบสมุทรอิตาลีเท่านั้น หากปลูกองุ่นนอกอิตาลี ควรปรับความถี่ในการรดน้ำ
น้ำสลัด
ควรใส่ปุ๋ยในช่วงต้นฤดูใบไม้ผลิ ก่อนออกดอก ก่อนผลสุก และก่อนเตรียมรับมือฤดูหนาว องุ่นต้องการไนโตรเจน โพแทสเซียม และฟอสฟอรัส
บางครั้งปุ๋ยอินทรีย์ก็ดีกว่าปุ๋ยสูตรสำเร็จรูป นอกจากการให้อาหารทางรากแล้ว ยังมีการให้อาหารทางใบด้วย ซึ่งเกี่ยวข้องกับการฉีดพ่นปุ๋ยให้ทั่วทั้งพุ่ม
การเตรียมตัวรับมือฤดูหนาว
พืชชนิดนี้ค่อนข้างชอบอากาศร้อน ดังนั้นจึงแนะนำให้คลุมไว้ในช่วงฤดูหนาว แนะนำให้ใช้กิ่งสนหรือพลาสติกคลุม

การคลุมดิน
เพื่อรักษาความชื้นในดิน เสริมสารอาหาร และป้องกันวัชพืช จะใช้วัสดุคลุมดิน ขั้นตอนนี้ใช้หญ้าที่ตัดแล้ว ฟาง และพีท
การตัดแต่ง
เมื่อทำการตัดแต่งกิ่ง ให้ตัดยอดและช่อดอกที่ตายแล้วออก เพื่อกระตุ้นการสุกของผล แนะนำให้เด็ดยอดออก เพียงแค่เด็ดปลายยอดอ่อนสีเขียวก็เพียงพอแล้ว
การป้องกันโรคและแมลงศัตรูพืช
พันธุ์นี้ไวต่อโรคราแป้ง เมื่อมีอาการโรคราแป้ง ให้ใช้สารเคมี เช่น ริโดมิล และ ซันโดแฟน ตาข่ายใช้ป้องกันนกและตัวต่อที่มาทำลายผลไม้
การกำจัดวัชพืชและการคลายดิน
แนะนำให้คลายและกำจัดวัชพืชในแปลงองุ่นเป็นประจำ ขั้นตอนเหล่านี้จะช่วยกำจัดวัชพืชและเพิ่มออกซิเจนในดิน
ถุงเท้ายาว
หากไม่มัดพุ่มไม้ให้แน่นหนา กิ่งและเถาวัลย์อาจหักได้ เพื่อป้องกันปัญหานี้ ให้ขุดโครงระแนงลงในดินทันทีหลังจากปลูก หรือสร้างหลักด้วยคานขวางหลายๆ อัน

วิธีการสืบพันธุ์
การขยายพันธุ์ทำได้โดยการปักชำหรือเพาะต้นกล้า พันธุ์นี้ยังไม่แพร่หลายนัก ดังนั้นการหาวัสดุปลูกจึงค่อนข้างท้าทาย
การเก็บเกี่ยวและการเก็บรักษา
องุ่นมีลักษณะเด่นคือสุกช้า ใช้เวลาประมาณ 125-135 วันจึงจะโตเต็มที่
การประยุกต์ใช้ในการผลิตไวน์
ผลเบอร์รี่เหล่านี้ใช้ทำไวน์แดง โดยไวน์ที่ได้รับความนิยมมากที่สุดคือไวน์ Chianti

เคล็ดลับจากนักจัดสวนผู้มีประสบการณ์
เพื่อให้ประสบความสำเร็จในการปลูกพืช ขอแนะนำ:
- เลือกสถานที่ปลูกให้เหมาะสม;
- รดน้ำต้นไม้ให้ตรงเวลา;
- ดำเนินการตัดแต่งกิ่ง;
- ใส่ปุ๋ย;
- ป้องกันโรคและแมลง
ซังจิโอเวเซเป็นองุ่นพันธุ์ยอดนิยมที่มักใช้ในการผลิตไวน์ เพื่อให้การเพาะปลูกประสบความสำเร็จ ขอแนะนำให้ปฏิบัติตามหลักการเกษตรที่เหมาะสม










