- ลักษณะเฉพาะของการปลูกแบล็กเบอร์รี่
- สภาพภูมิอากาศที่เหมาะสม
- งานเตรียมการ
- การเลือกสถานที่ปลูก
- ชุมชนที่เอื้ออำนวยและชุมชนที่ไม่พึงประสงค์
- รูปแบบและระยะห่างในการปลูก
- องค์ประกอบของดินที่เหมาะสม
- ขนาดและความลึกของหลุมปลูก
- วิธีและปุ๋ยที่ควรใส่ก่อนปลูก
- วิธีการปลูกต้นกล้า
- เทคโนโลยีการดูแลพืชผล
- การรดน้ำสม่ำเสมอ
- ปุ๋ย
- การตัดแต่งพุ่มไม้ให้เหมาะสม
- การย้ายถิ่นฐานไปยังสถานที่ใหม่
- ที่พักพิงฤดูหนาว
- โรคและวิธีการรักษา
- โรคราแป้ง
- โรคโบทริติส
- จุดสีม่วง
- แอนแทรคโนส
- ความอ่อนไหวต่อศัตรูพืช
- วิธีการขยายพันธุ์ไม้พุ่ม
- การตัด
- ลูกหลาน
- การแบ่งชั้น
- ยอดอ่อน
- เมล็ดพันธุ์
- คาดว่าจะออกดอกและติดผลเมื่อใด?
- ข้อผิดพลาดในการเจริญเติบโต
เสน่ห์ของการปลูกแบล็กเบอร์รีอยู่ที่การให้ผลผลิตสูงของผลเบอร์รี่ที่ดีต่อสุขภาพ ซึ่งมีองค์ประกอบทางเคมีที่ทำให้แบล็กเบอร์รีเป็นส่วนประกอบยอดนิยมของอาหารมนุษย์ แบล็กเบอร์รีเป็นทางเลือกที่ดีเยี่ยมแทนราสเบอร์รี่ และยังเป็นวิธีเพิ่มความหลากหลายให้กับผลไม้ดองฤดูหนาว หากคุณรู้วิธีปลูกและดูแลแบล็กเบอร์รีอย่างถูกต้องโดยคำนึงถึงคุณสมบัติทางชีวภาพทั้งหมดของมัน แบล็กเบอร์รีจะทำให้คุณอิ่มเอมใจด้วยผลผลิตแสนอร่อยที่เก็บเกี่ยวได้นานถึง 10 ปี และตกแต่งสวนของคุณด้วยรูปลักษณ์อันงดงาม
ลักษณะเฉพาะของการปลูกแบล็กเบอร์รี่
ความหลากหลายของแบล็กเบอร์รี่ในสวนขึ้นอยู่กับคุณค่าทางโภชนาการ ความสวยงาม และความอร่อย รวมถึงความหลากหลายของรูปทรงและสายพันธุ์ ต้นแบล็กเบอร์รี่จะเริ่มเติบโตอย่างเรียบง่ายและออกผลได้ในทุกสภาพอากาศ การปลูกแบล็กเบอร์รี่จึงต้องใช้เทคนิคการปลูกที่เหมาะสม การดูแลที่เหมาะสมก็เป็นสิ่งสำคัญอย่างยิ่งต่อการเจริญเติบโตของต้นแบล็กเบอร์รี่ให้แข็งแรง โดยเฉพาะอย่างยิ่งในปีแรกของต้นกล้า ซึ่งเป็นช่วงที่เถาวัลย์กำลังออกผลและยอดกลางกำลังเจริญเติบโต
สภาพภูมิอากาศที่เหมาะสม
เมื่อปลูกแบล็กเบอร์รี่ สิ่งสำคัญคือต้องคำนึงว่าพืชชนิดนี้สามารถเติบโตได้ในทุกสภาพอากาศ ยกเว้นพื้นที่ทุ่งหญ้าแห้งแล้งที่มีความชื้นต่ำพันธุ์ไม้หลายชนิดไม่ทนต่อน้ำค้างแข็ง ดังนั้นจึงควรคลุมต้นไม้ไว้ตลอดฤดูหนาว
งานเตรียมการ
การปลูกแบล็กเบอร์รีอย่างถูกต้องเป็นกุญแจสำคัญสู่การอยู่รอดและการเจริญเติบโตที่ดี ดังนั้น จึงจำเป็นต้องเตรียมการหลายอย่าง ซึ่งรวมถึงการเลือกทำเลที่ตั้ง การระบุพื้นที่ปลูกที่เหมาะสมและไม่เหมาะสม รวมถึงรูปแบบการปลูก และการเตรียมหลุมปลูกที่มีส่วนผสมดินที่เหมาะสม
การเลือกสถานที่ปลูก
การปลูกแบล็กเบอร์รี่เริ่มต้นด้วยการเลือกพื้นที่ปลูกต้นกล้า ควรเลือกพื้นที่ราบที่กำบังลม หากปลูกในที่ร่ม ผลผลิตจะเติบโตไม่ดี ผลเบอร์รี่จะเล็กและเสียรสชาติ ควรปลูกทางทิศตะวันตกเฉียงใต้ของบ้านวิธีแก้ปัญหาที่ดีที่สุดคือการปลูกแบล็กเบอร์รี่ไว้ตามรั้ว ซึ่งจะช่วยปกป้องพุ่มไม้จากลมโกรก และปกป้องลำต้นจากความเสียหาย

ชุมชนที่เอื้ออำนวยและชุมชนที่ไม่พึงประสงค์
ชาวสวนแนะนำให้ปลูกแบล็กเบอร์รีแยกต่างหากจากพืชชนิดอื่น เพื่อให้ง่ายต่อการมัดและเตรียมพร้อมสำหรับฤดูหนาว ระบบรากของพุ่มไม้ชนิดนี้ยังเสี่ยงต่อการเกิดโรคใบไหม้ปลายใบ (late blight) ที่เกิดจากมะเขือยาว มันฝรั่ง และผักอื่นๆ อย่างไรก็ตาม หากพื้นที่ไม่เพียงพอสำหรับการแยกแบล็กเบอร์รีออกจากพืชชนิดอื่น เพื่อนบ้านที่ดีที่สุดของแบล็กเบอร์รีคือดอกไม้ในสวน ลูกแพร์ ต้นแอปเปิล และองุ่น
รูปแบบและระยะห่างในการปลูก
สามารถปลูกแบล็กเบอร์รี่ได้ทั้งแบบปลูกเป็นพุ่มและปลูกเป็นแถว โดยวิธีแรก ให้ปลูกต้นกล้าแต่ละต้นห่างกัน 1.8-2 เมตร สำหรับพันธุ์เลื้อย ควรเพิ่มระยะห่างเป็น 2.5 เมตร ส่วนวิธีปลูกแบบแถว ควรปลูกห่างกันระหว่างต้น 1-1.5 เมตร และระหว่างแถว 2-2.5 เมตร ส่วนพันธุ์เลื้อย ควรปลูกห่างกันอย่างน้อย 1.7-2 เมตร ภายในแถว โดยเว้นระยะห่างระหว่างแถว 2.5 เมตร
องค์ประกอบของดินที่เหมาะสม
แบล็กเบอร์รี่ชอบดินร่วนที่ระบายน้ำได้ดี พวกมันไม่เจริญเติบโตในพื้นที่หิน ทราย หรือหนองน้ำที่มีดินเป็นกรดหรือด่าง
ค่า pH ที่เหมาะสมสำหรับแบล็กเบอร์รี่คือ 5.7-6.5 หากดินเป็นด่าง สามารถเพิ่มความเป็นกรดได้โดยการเติมกำมะถันหรือเหล็กซัลเฟต ดินที่มีหินปูนสูงก็ถือว่าไม่เหมาะสมเช่นกัน ดังนั้นหากดินเป็นกรด ให้เติมปูนขาวลงไป
ขนาดและความลึกของหลุมปลูก
ก่อนที่จะเตรียมหลุมคุณต้องรู้ว่าขนาดควรเป็น 40 x 40 x 50 ซม.
วิธีและปุ๋ยที่ควรใส่ก่อนปลูก
ก่อนปลูก ให้ใส่ส่วนผสมดินที่ประกอบด้วยปุ๋ยหมัก 5-6 กิโลกรัม ซุปเปอร์ฟอสเฟต 100 กรัม และโพแทสเซียม 40 กรัม ผสมกับดินอุดมสมบูรณ์ในแต่ละหลุม เติมส่วนผสมที่ได้ลงในหลุมประมาณ 2/3 ของหลุม จากนั้นจึงสร้างชั้นดินชั้นบนบางๆ เพื่อรองรับรากของต้นกล้า

วิธีการปลูกต้นกล้า
คำแนะนำทีละขั้นตอนสำหรับการปลูกต้นแบล็กเบอร์รี่:
- วางต้นกล้าลงในหลุมที่เตรียมไว้บนพื้นที่ที่สร้างขึ้น โดยจัดรากให้ตรงอย่างระมัดระวัง
- ปลูกโดยให้ตาส่วนที่โตอยู่โคนลำต้นฝังลึกประมาณ 2-3 ซม.
- อัดให้แน่นแล้วเติมน้ำ 1 ถังให้ชื้น
- เมื่อปลูกเสร็จแล้วให้ตัดต้นกล้าโดยให้ความยาวไม่เกิน 30 ซม. จากพื้นดิน
- คลุมดินโดยเพิ่มชั้นขี้เลื่อยไม้หนา 3-4 ซม.
การปลูกที่ถูกต้องรับประกันการเก็บเกี่ยวผลเบอร์รี่ที่มีประโยชน์มากมาย
เทคโนโลยีการดูแลพืชผล
เพื่อให้แบล็กเบอร์รี่เติบโตเต็มที่และเจริญเติบโตเต็มที่ คุณจำเป็นต้องรู้เทคนิคการเพาะปลูกที่ถูกต้อง การปลูกต้นแบล็กเบอร์รี่อ่อนในพื้นที่โล่งจะทำให้คุณพึงพอใจกับรูปลักษณ์ที่สวยงามและให้ผลผลิตสูง ทั้งผลที่ฉ่ำน้ำและมีกลิ่นหอม

การรดน้ำสม่ำเสมอ
เมื่อปลูกแบล็กเบอร์รี สิ่งสำคัญคือต้องรู้ว่าควรรดน้ำบ่อยแค่ไหน แบล็กเบอร์รีเป็นพืชที่ชอบความชื้น ดังนั้นการขาดความชื้นอาจส่งผลเสียต่อการเจริญเติบโตและคุณภาพของผล ควรรดน้ำแบล็กเบอร์รีในเดือนกรกฎาคม ซึ่งเป็นช่วงที่ผลสุก และในช่วงฤดูร้อนที่มีอากาศร้อน ในช่วงเวลาดังกล่าว พุ่มไม้ที่โตเต็มที่แต่ละต้นควรได้รับน้ำ 15-20 ลิตรต่อสัปดาห์ ในช่วงเวลาอื่นๆ ควรรดน้ำตามสภาพดิน เพื่อไม่ให้ดินแห้งสนิท
ปุ๋ย
แบล็กเบอร์รี่ต้องการปุ๋ยทุกฤดูใบไม้ผลิ โดยใส่ปุ๋ยไนโตรเจนลงในดินเพื่อกระตุ้นการเจริญเติบโตของยอดอ่อน การคลุมดินด้วยปุ๋ยหมักจะให้ผลลัพธ์ที่ดีเยี่ยม ควรใส่ปุ๋ยทุก 3-4 ปีในเดือนสิงหาคมหลังเก็บเกี่ยว โดยใช้ส่วนผสมธาตุอาหารต่อไปนี้:
- ปุ๋ยหมัก 10 กก.;
- ซุปเปอร์ฟอสเฟต 100 กรัม;
- โพแทสเซียมซัลเฟต 30 กรัม
นอกจากนี้ในเดือนกันยายน เมื่อเตรียมพืชสำหรับฤดูหนาว ให้เสริมดินด้วยปุ๋ยโพแทสเซียมและฟอสฟอรัส 50 กรัมต่อ 1 ม.2-

การตัดแต่งพุ่มไม้ให้เหมาะสม
ในระหว่างการพัฒนาของแบล็กเบอร์รี่ จำเป็นต้องควบคุมความหนาแน่นของพุ่มไม้และดำเนินการตัดแต่งกิ่งเพื่อการเจริญเติบโต ซึ่งจะส่งเสริมการใช้สารอาหารที่ให้มากับพุ่มไม้อย่างมีเหตุผล เพิ่มความต้านทานต่อน้ำค้างแข็ง และออกดอกมากมายในฤดูกาลที่จะมาถึง
หากต้องการทำสิ่งนี้ คุณต้องมี:
- ในปีแรกของการออกดอกของแบล็กเบอร์รี่ ควรตัดช่อดอกออกเพื่อกระตุ้นการพัฒนาของราก
- ในฤดูใบไม้ผลิ ก่อนที่ตาจะเริ่มบาน เถาวัลย์ของต้นไม้ที่มีอายุ 2 ปี จะต้องถูกตัดให้สั้นลง โดยเหลือความสูงไว้ได้ถึง 1.8 เมตร
- ในช่วงปลายฤดูหนาว ให้ตัดส่วนที่เป็นน้ำแข็งของยอดออกทุกปีจนเหลือแต่ตาที่ยังมีชีวิตอยู่
- ในเดือนมิถุนายน ควรตัดแต่งกิ่งและตัดยอดอ่อนออก วิธีนี้จะทำให้มียอดที่แข็งแรง 6-8 กิ่งสำหรับพันธุ์เลื้อย และ 4-5 กิ่งสำหรับพันธุ์ตั้งตรง แนะนำให้ตัดแต่งส่วนยอดเพื่อให้ได้ต้นที่สวยงามและแข็งแรง
- ในฤดูใบไม้ร่วง ให้ตัดกิ่งที่ออกผลจนถึงราก ตัดยอดอ่อนและลำต้นที่ได้รับความเสียหายจากปรสิตออก และทำให้ยอดอ่อนที่โตเต็มที่และแข็งแรงสั้นลงหนึ่งในสี่

การย้ายถิ่นฐานไปยังสถานที่ใหม่
ควรย้ายต้นแบล็กเบอร์รี่ในสวนของคุณในช่วงฤดูใบไม้ผลิก่อนที่ตาจะบาน โดยขุดและพรวนดินรอบ ๆ พุ่มไม้ที่เลือกอย่างระมัดระวัง ระวังอย่าให้รากถูกรบกวน ปลูกซ้ำโดยให้รากเป็นก้อนกลม ขุดหลุมในตำแหน่งใหม่ โดยให้เส้นผ่านศูนย์กลางของหลุมสอดคล้องกับขนาดของตอแบล็กเบอร์รี่ รวมถึงก้อนกลมด้วย ผสมดินกับปุ๋ยหมักแล้วใส่ลงในหลุม กระจายรากอย่างระมัดระวัง โรยด้วยดินผสม และรดน้ำให้ชุ่ม
คุณสามารถย้ายต้นแบล็กเบอร์รี่ได้ในฤดูใบไม้ร่วง หนึ่งเดือนก่อนน้ำค้างแข็งครั้งแรก เพื่อให้พุ่มไม้มีเวลาปรับตัวและแข็งแรงขึ้น
ที่พักพิงฤดูหนาว
อากาศหนาวจัด โดยเฉพาะในเขตอบอุ่น ไม่เพียงแต่ทำให้ผลผลิตไม่ดีเท่านั้น แต่ยังทำให้ต้นแบล็กเบอร์รีตายได้อีกด้วย ดังนั้น จึงเป็นสิ่งสำคัญที่ต้องใช้มาตรการหลายอย่างและเตรียมต้นแบล็กเบอร์รีให้พร้อมสำหรับฤดูหนาว โดยก่อนคลุมแบล็กเบอร์รี ควรทำให้ชื้นและคลุมด้วยพีทหรือขี้เลื่อยแห้ง จากนั้นนำกิ่งไม้ไปวางบนพื้นและคลุมด้วยหญ้าแห้งหรือฟาง สุดท้าย คลุมโครงสร้างที่เสร็จสมบูรณ์ด้วยฟิล์มพลาสติกหนาๆ หรือกิ่งสน ซึ่งจะช่วยป้องกันหนูได้อีกด้วย
เพื่อเตรียมแบล็กเบอร์รี่ให้พร้อมสำหรับฤดูหนาวได้ดีขึ้น ชาวสวนแนะนำให้ตัดแต่งกิ่งโดยตัดยอดอายุ 2 ปีและก้านที่เสียหายออก
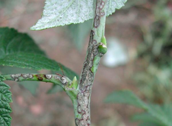
โรคและวิธีการรักษา
แบล็กเบอร์รี่อาจได้รับผลกระทบจากโรคต่างๆ ที่อาจทำให้ผลผลิตตกต่ำและอาจถึงขั้นพืชตายได้ ดังนั้น การระบุเชื้อก่อโรคให้เร็วที่สุดเท่าที่จะเป็นไปได้และเริ่มต่อสู้กับเชื้อเหล่านี้อย่างทันท่วงทีจึงเป็นสิ่งสำคัญ สิ่งสำคัญคือต้องรู้ว่าโรคใดบ้างที่อาจคุกคามพืชผล
โรคราแป้ง
การปรากฏของคราบแป้งสีขาวเทาบนทุกส่วนของต้นบ่งชี้ถึงโรคราแป้ง โรคราแป้งรุนแรงทำให้การเจริญเติบโตของยอดชะงักงัน ซึ่งส่งผลกระทบทางลบต่อผลผลิต เนื่องจากผลจะเล็กลง ดูไม่สวยงาม และมีกลิ่นไม่พึงประสงค์
มาตรการควบคุม: ใช้วัสดุปลูกที่ปลอดภัย การเผาพืชที่ติดเชื้อไวรัส การพ่นสารเคมีพิเศษลงบนพุ่มไม้
โรคโบทริติส
ราสีเทา (botrytis) โจมตีต้นแบล็กเบอร์รี่ทั้งหมด โดยเฉพาะผล ซึ่งจะสูญเสียรสชาติและเกิดคราบสีเทาฟูๆ ขึ้นบนพื้นผิว ใบจะแห้งและยอดจะปกคลุมด้วยจุดสีน้ำตาล การรักษาประกอบด้วยการใช้สารฆ่าเชื้อราและมาตรการป้องกัน โดยเฉพาะอย่างยิ่งการปฏิบัติตามแนวทางปฏิบัติทางการเกษตรที่เหมาะสม
สำคัญ! เชื้อโรคจะพัฒนาความต้านทานต่อสารฆ่าเชื้อราได้อย่างรวดเร็ว ดังนั้นการสลับวิธีการรักษาโดยใช้ผลิตภัณฑ์ที่ออกฤทธิ์และกลุ่มสารเคมีต่างกันจึงเป็นสิ่งสำคัญ
จุดสีม่วง
เชื้อราชนิดนี้สามารถแพร่กระจายไปทั่วทุกส่วนของต้นพืช สามารถวินิจฉัยได้จากจุดสีน้ำตาลอมม่วงที่มีขอบเป็นขนบนลำต้น ซึ่งจะขยายใหญ่ขึ้นในภายหลัง รวมถึงตาดอกที่แห้งและดำคล้ำ
เพื่อต่อสู้กับโรคจุดม่วง แนะนำให้ใช้สารป้องกันเชื้อรา
แอนแทรคโนส
โรคนี้ส่งผลต่อต้นแบล็กเบอร์รี่ที่เติบโตในพื้นที่ที่มีความชื้นสูง ต้นแบล็กเบอร์รี่ที่ติดเชื้อจะมีจุดกลมสีเทาเล็กๆ ขอบใบกว้างสีม่วง ผลจะเปลี่ยนเป็นสีน้ำตาลและแห้ง วิธีแก้ไขคือใช้สารฆ่าเชื้อราและดูแลต้นแบล็กเบอร์รี่ตามขั้นตอนที่จำเป็นทั้งหมด

ความอ่อนไหวต่อศัตรูพืช
ศัตรูพืชที่สามารถโจมตีแบล็กเบอร์รี่ได้ ได้แก่ ไรเดอร์ ด้วงงวง ด้วงราสเบอร์รี่ เพลี้ยอ่อน และหนอนผีเสื้อ การใช้ยาฆ่าแมลงกับพุ่มไม้มีประสิทธิภาพในการป้องกันแมลงเหล่านี้อย่างมาก เพื่อป้องกัน แนะนำให้ใช้ยาเหล่านี้กับแบล็กเบอร์รี่ในฤดูใบไม้ผลิ ก่อนที่ตาจะแตก และในฤดูใบไม้ร่วงหลังการเก็บเกี่ยว
วิธีการขยายพันธุ์ไม้พุ่ม
เนื่องจากมีวิธีการขยายพันธุ์จำนวนมาก คุณจึงต้องเลือกตามพันธุ์พืช
การตัด
แบล็กเบอร์รี่สามารถขยายพันธุ์ได้โดยใช้กิ่งปักชำและกิ่งพันธุ์เขียว ข้อดีของการปักชำกิ่งพันธุ์คือวิธีนี้เหมาะสำหรับพืชทุกชนิด อีกทั้งยังง่ายและหลากหลาย ทำให้คุณสามารถเพาะต้นกล้าได้หลายต้นในครั้งเดียว เมื่อเลือกกิ่งปักชำเขียว ควรคำนึงไว้ว่าอัตราการรอดตายของกิ่งปักชำมีเพียง 10% และการปลูกในเรือนกระจกอาจเป็นเรื่องยาก เนื่องจากการสร้างสภาพแวดล้อมที่เหมาะสมในการเจริญเติบโตอาจเป็นเรื่องยาก

ลูกหลาน
การขยายพันธุ์แบล็กเบอร์รี่โดยใช้หน่อควรเริ่มก่อนเดือนกรกฎาคม หน่อควรอยู่ห่างจากต้น 30 ซม. เมื่อหน่อสูง 10 ซม. ควรขุดหน่อขึ้นมาพร้อมกับราก แล้วจึงปลูกในแปลงใหม่
การแบ่งชั้น
ต้นเดือนสิงหาคม ให้งอก้านแบล็กเบอร์รีอายุหนึ่งปีลงดิน แล้วกลบด้วยดิน โดยเหลือไว้เพียงปลายยอด ภายใน 60 วัน กิ่งชำจะเริ่มมีรากและยอดงอกออกมาจากดิน ในฤดูใบไม้ผลิ ให้แยกต้นกล้าออกจากต้นแม่แล้วปลูก กิ่งชำหนึ่งกิ่งสามารถให้ต้นกล้าใหม่ได้มากถึงห้าต้น
ยอดอ่อน
สำหรับพันธุ์แบล็กเบอร์รี่เลื้อย ควรใช้วิธีการปลูกโดยใช้ยอดอ่อน ขั้นตอนการหยั่งรากควรเริ่มต้นในเดือนกรกฎาคม โดยการดัดยอดอ่อนอายุหนึ่งปีให้โค้งลงสู่ดิน และพรวนดินให้ลึกถึง 15 ซม. หลังจากนั้นหนึ่งเดือน รากจะเริ่มงอกและยอดอ่อนใหม่จะงอกออกมา ควรคลุมยอดอ่อนเหล่านี้ไว้ในช่วงฤดูหนาวด้วยกิ่งสน และในฤดูใบไม้ผลิ ควรแยกยอดอ่อนออกจากพุ่มและปลูกใหม่

เมล็ดพันธุ์
คุณสามารถหาเมล็ดพันธุ์ได้ที่บ้านโดยการตากแบล็กเบอร์รี่สุกเต็มที่ให้แห้ง นำต้นกล้าที่ได้แช่น้ำ 2-3 วัน และทำให้แข็งตัวโดยการแช่เย็นอีก 5-6 วัน หลังจากใส่พีทและทรายลงไปแล้ว เมื่อปลูก ให้เว้นระยะห่างระหว่างต้นกล้า 3-4 ซม. และลึกไม่เกิน 8 ซม. เมื่อต้นกล้ามีใบจริง 3-4 ใบแล้ว ให้ปลูกในดินเปิด
คาดว่าจะออกดอกและติดผลเมื่อใด?
พันธุ์ที่ออกผลเร็วต้องใช้เวลา 1.5 เดือนจึงจะสุก ส่วนพันธุ์ที่ออกผลช้าต้องใช้เวลาอย่างน้อยสองเดือน แบล็กเบอร์รีจะเริ่มออกดอกในช่วงปลายเดือนมิถุนายนหรือกลางเดือนกรกฎาคม และออกผลในเดือนสิงหาคม-กันยายน ขึ้นอยู่กับพันธุ์ การเก็บเกี่ยวจะเกิดขึ้นในช่วงปลายเดือนสิงหาคม เนื่องจากผลแบล็กเบอร์รีจะสุกไม่สม่ำเสมอ ดังนั้นควรเก็บเกี่ยวเป็นระยะๆ สัปดาห์ละสองถึงสามครั้งในช่วงที่อากาศแห้ง
ข้อผิดพลาดในการเจริญเติบโต
ข้อผิดพลาดทั่วไปได้แก่:
- การเลือกใช้วัสดุปลูกที่ไม่มีคุณภาพ
- การปลูกในพื้นที่ที่มีร่มเงา
- การไม่รักษาระยะห่างระหว่างต้นไม้ในระหว่างการปลูก
- การเจาะลึกโคนต้นไม่ถูกต้อง
- ใกล้กับราสเบอร์รี่
- การใช้ปุ๋ยอย่างไม่สมเหตุสมผล
เมื่อปลูกแบล็กเบอร์รี่ สิ่งสำคัญคือต้องหลีกเลี่ยงข้อผิดพลาดที่พบบ่อยเหล่านี้เมื่อปลูกต้นแบล็กเบอร์รี่ เมื่อพิจารณาถึงลักษณะเฉพาะเหล่านี้ รวมถึงพื้นที่ปลูก ขอแนะนำว่าไม่เพียงแต่ควรเลือกพืชที่เหมาะสมเท่านั้น พันธุ์แบล็กเบอร์รี่แต่ต้องปลูกให้ถูกวิธีและดูแลต้นไม้ให้เหมาะสม











